Log In/Sign Up
Your email has been sent.
Investment Highlights
- Free-standing 2nd-generation restaurant building on ±22,412 SF lot
- High-traffic location with 174,000+ vehicles per day
- Excellent visibility along Interstate 8 with large pylon signage
- Convenient ingress/egress with full intersection circulation
Executive Summary
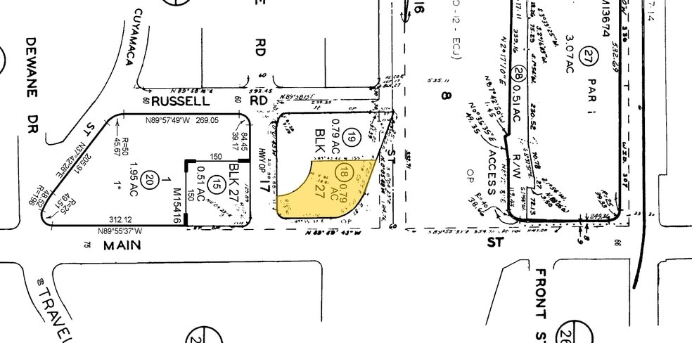
1202 W Main Street is a free-standing former Denny’s restaurant ideally positioned along Interstate 8 in El Cajon. The ±5,111 SF building sits on ±22,412 SF of land with excellent freeway visibility, a large pylon sign, and easy full-circulation access. This high-traffic corridor sees 174,000+ cars per day, offering strong exposure for restaurant, retail, or redevelopment users.
Property Facts
Sale Type
Investment or Owner User
Property Type
Retail
Property Subtype
Restaurant
Building Size
5,111 SF
Building Class
C
Year Built
1967
Price
$2,677,085 CAD
Price Per SF
$523.79 CAD
Tenancy
Single
Building Height
1 Story
Building FAR
0.23
Lot Size
0.51 AC
Zoning
C-G
Parking
26 Spaces (5.09 Spaces per 1,000 SF Leased)
Frontage
Amenities
- Freeway Visibility
- Pylon Sign
- Signage
Fairly walkable
40/100
Exceptionally drivable
100/100
Some public transit
50/100
Somewhat bikeable
20/100
Nearby Major Retailers
Property Taxes
| Parcel Number | 487-110-18 | Improvements Assessment | $402,527 CAD |
| Land Assessment | $402,527 CAD | Total Assessment | $805,054 CAD |
Property Taxes
Parcel Number
487-110-18
Land Assessment
$402,527 CAD
Improvements Assessment
$402,527 CAD
Total Assessment
$805,054 CAD
1 of 4
Videos
Matterport 3D Exterior
Matterport 3D Tour
Photos
Street View
Street
Map
Presented by
1202 Main St
Already a member? Log In
Hmm, there seems to have been an error sending your message. Please try again.
Thanks! Your message was sent.



