Log In/Sign Up
Your email has been sent.
Investment Highlights
- Pad site in the heart of Marshall MN's commercial district
Executive Summary
Zoning: “B-3” General Business
Property Facts
| Sale Type | Investment or Owner User | Property Subtype | Commercial |
| No. Lots | 1 | Proposed Use | Commercial |
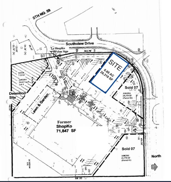
| Property Type | Land | Total Lot Size | 0.65 AC |
| Zoning | B3 - General Business | ||
| Sale Type | Investment or Owner User |
| No. Lots | 1 |
| Property Type | Land |
| Property Subtype | Commercial |
| Proposed Use | Commercial |
| Total Lot Size | 0.65 AC |
| Zoning | B3 - General Business |
1 Lot Available
Lot
| Lot Size | 0.65 AC |
| Lot Size | 0.65 AC |
FOR SALE: +/- 0.65 acres pad site off E Main St right by the Hwy 23 intersection, in one of the commercial districts of Marshall MN.
Description
FOR SALE: +/- 0.65 acres pad site off E Main St right by the Hwy 23 intersection, in one of the commercial districts of Marshall MN.
Fairly walkable
40/100
Exceptionally drivable
100/100
Fairly bikeable
40/100
Property Taxes
| Parcel Number | 27-798001-6 | Improvements Assessment | $30,968 CAD |
| Land Assessment | $169,984 CAD | Total Assessment | $200,953 CAD |
Property Taxes
Parcel Number
27-798001-6
Land Assessment
$169,984 CAD
Improvements Assessment
$30,968 CAD
Total Assessment
$200,953 CAD
1 of 4
Videos
Matterport 3D Exterior
Matterport 3D Tour
Photos
Street View
Street
Map
Presented by
1210 Susan Dr - 0.65 acres Marshall MN Pad Site
Already a member? Log In
Hmm, there seems to have been an error sending your message. Please try again.
Thanks! Your message was sent.




