Log In/Sign Up
Your email has been sent.
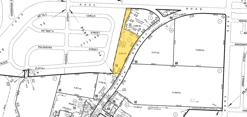
Pearl City Land 1240 Kuala St 0.8 Acres of Industrial Land for Lease in Pearl City, HI 96782



LOT Available
Display Rental Rate as
| Rental Rate |
|
Lot Size | 0.80 AC |
| Lease Term | 20 Years |
| Rental Rate | |
| Lease Term | 20 Years |
| Lot Size | 0.80 AC |
Property Overview
Colliers is pleased to present a rare ground lease opportunity on approximately 34,925 square feet in densely populated Pearl City. This is a potential drive thru location and a chance to be located adjacent to Raising Cane’s Chicken Fingers. This is an ideal location on Kuala Street, where traffic counts exceed 28,500 vehicles a day in the heart of Pearl City’s retail hub! The site is conveniently located to H-1 and H-2 Freeways and Kamehameha Highway.
Property Facts
Fairly walkable
50/100
Exceptionally drivable
100/100
Some public transit
40/100
Fairly bikeable
40/100
1 of 5
Videos
Matterport 3D Exterior
Matterport 3D Tour
Photos
Street View
Street
Map
Presented by
Pearl City Land | 1240 Kuala St
Already a member? Log In
Hmm, there seems to have been an error sending your message. Please try again.
Thanks! Your message was sent.

