Log In/Sign Up
Your email has been sent.
Highlights
- Directly across from Dell and GM offices and less than 3 miles to Samsung
- Excellent visibility | Level lot
- Directly across from entrance to Dell
- Excellent demographics with more than 122k population with Avg household income over $108k within 3 miles and 273k+ with avg. household income over $1
- Zoned GR
- Adjacent to Townplace Suites, LaQuinta Hotel and Avid Hotel
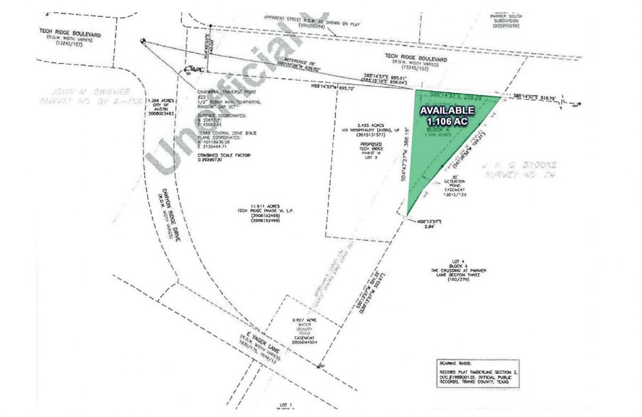
LOT Available
Display Rental Rate as
| Rental Rate |
|
Lot Size | 1.10 AC |
| Lease Term | Negotiable |
| Rental Rate | |
| Lease Term | Negotiable |
| Lot Size | 1.10 AC |
Property Facts
1 1
Fairly walkable
40/100
Exceptionally drivable
100/100
Limited public transit
30/100
Moderately bikeable
60/100
1 of 9
Videos
Matterport 3D Exterior
Matterport 3D Tour
Photos
Street View
Street
Map
1 of 1
Presented by
Tech Ridge Lot | 12431 Tech Ridge Blvd
Already a member? Log In
Hmm, there seems to have been an error sending your message. Please try again.
Thanks! Your message was sent.



