Log In/Sign Up
Your email has been sent.
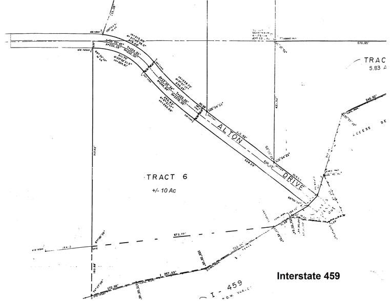
1251 and 1255 Alton Drive - Alton Drive and Alton Road Industrial Acreage 5 Acre of Industrial Land Offered at $450,199 - $989,074 CAD Per Lot in Birmingham, AL 35210


Executive Summary
Near Wood Fruittecher Food Distribution Center and Motion Industries. 1 mile interstate accessible.
Property Facts
2 Lots Available
Lot 1255 Alton
| Price | $989,074 CAD | Lot Size | 5.00 AC |
| Price Per AC | $197,814.81 CAD |
| Price | $989,074 CAD |
| Price Per AC | $197,814.81 CAD |
| Lot Size | 5.00 AC |
10-acre total parcel with 900 LF of Interstate 459 frontage sales price $600,000
Lot 2805 Alton
| Price | $450,199 CAD | Lot Size | 5.00 AC |
| Price Per AC | $90,039.84 CAD |
| Price | $450,199 CAD |
| Price Per AC | $90,039.84 CAD |
| Lot Size | 5.00 AC |
5 acre partially prepped industrial acreage with significant frontage on Alton Road sale price $330,000.
1 1
Somewhat walkable
20/100
Exceptionally drivable
100/100
Property Taxes
| Parcel Numbers | Improvements Assessment | $0 CAD | |
| Land Assessment | $29,508 CAD | Total Assessment | $29,508 CAD |
Property Taxes
Parcel Numbers
Land Assessment
$29,508 CAD
Improvements Assessment
$0 CAD
Total Assessment
$29,508 CAD
1 of 3
Videos
Matterport 3D Exterior
Matterport 3D Tour
Photos
Street View
Street
Map
1 of 1
Presented by
Birmingham Investment Realty
1251 and 1255 Alton Drive - Alton Drive and Alton Road Industrial Acreage
Already a member? Log In
Hmm, there seems to have been an error sending your message. Please try again.
Thanks! Your message was sent.
