Your email has been sent.
12801-12813 Venice Blvd 1,858 SF of Retail Space Available in Los Angeles, CA 90066



Highlights
- Vibrant, active retail hub
- Central HVAC, 10-foot ceilings, lighted storefront
- Recently painted exterior
- Lots of natural light and visibility
- Move-in ready or customize as desired
- Proactive site management
Space Availability (1)
Display Rental Rate as
- Space
- Size
- Ceiling
- Term
- Rental Rate
- Rent Type
| Space | Size | Ceiling | Term | Rental Rate | Rent Type | |
| 1st Floor, Ste 12813 | 1,858 SF | 11’ | Negotiable | $56.62 CAD/SF/YR $4.72 CAD/SF/MO $105,204 CAD/YR $8,767 CAD/MO | Triple Net (NNN) |
1st Floor, Ste 12813
30 foot store front with about 25 feet of retail windows and double door. Open floor plan with a small kitchenette and separate storage or work room connected to roll up door. Currently a private patio extends off the back of the property, could be removed for direct access to roll up door and/or add parking. 3 parking included could be 4 to 5 if patio was removed, with a bonus space. Prior tenant finished concrete floor. Plenty of recessed lighting. Landlord is not offering any buildouts at this price. 100amp electrical service. Own water meter.
- Lease rate does not include utilities, property expenses or building services
- Partially Built-Out as Standard Retail Space
- Located in-line with other retail
- Central Air Conditioning
- High Ceilings
- Recessed Lighting
- Finished Ceilings: 11’
- Private Restrooms
- Open Floor Plan on Busy Retail Intersection
Rent Types
The rent amount and type that the tenant (lessee) will be responsible to pay to the landlord (lessor) throughout the lease term is negotiated prior to both parties signing a lease agreement. The rent type will vary depending upon the services provided. For example, triple net rents are typically lower than full service rents due to additional expenses the tenant is required to pay in addition to the base rent. Contact the listing broker for a full understanding of any associated costs or additional expenses for each rent type.
1. Full Service: A rental rate that includes normal building standard services as provided by the landlord within a base year rental.
2. Double Net (NN): Tenant pays for only two of the building expenses; the landlord and tenant determine the specific expenses prior to signing the lease agreement.
3. Triple Net (NNN): A lease in which the tenant is responsible for all expenses associated with their proportional share of occupancy of the building.
4. Modified Gross: Modified Gross is a general type of lease rate where typically the tenant will be responsible for their proportional share of one or more of the expenses. The landlord will pay the remaining expenses. See the below list of common Modified Gross rental rate structures: 4. Plus All Utilities: A type of Modified Gross Lease where the tenant is responsible for their proportional share of utilities in addition to the rent. 4. Plus Cleaning: A type of Modified Gross Lease where the tenant is responsible for their proportional share of cleaning in addition to the rent. 4. Plus Electric: A type of Modified Gross Lease where the tenant is responsible for their proportional share of the electrical cost in addition to the rent. 4. Plus Electric & Cleaning: A type of Modified Gross Lease where the tenant is responsible for their proportional share of the electrical and cleaning cost in addition to the rent. 4. Plus Utilities and Char: A type of Modified Gross Lease where the tenant is responsible for their proportional share of the utilities and cleaning cost in addition to the rent. 4. Industrial Gross: A type of Modified Gross lease where the tenant pays one or more of the expenses in addition to the rent. The landlord and tenant determine these prior to signing the lease agreement.
5. Tenant Electric: The landlord pays for all services and the tenant is responsible for their usage of lights and electrical outlets in the space they occupy.
6. Negotiable or Upon Request: Used when the leasing contact does not provide the rent or service type.
7. TBD: To be determined; used for buildings for which no rent or service type is known, commonly utilized when the buildings are not yet built.
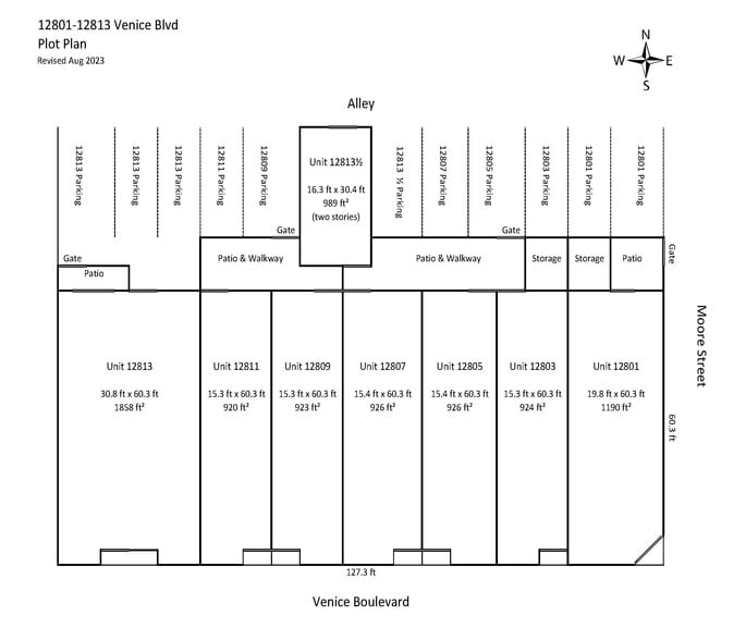
Site Plan
Select Tenants at 12801-12813 Venice Blvd, Los Angeles, CA 90066
- Tenant
- Description
- US Locations
- Reach
- Beckfit
- Arts, Entertainment, and Recreation
- -
- -
- Floral Art
- Retailer
- -
- -
- Glo Active
- Arts, Entertainment, and Recreation
- -
- -
- Maria, Kym & Company Hair Salon
- Services
- -
- -
- TaxPlus
- Finance and Insurance
- -
- -
- Veganics
- Accommodation and Food Services
- -
- -
| Tenant | Description | US Locations | Reach |
| Beckfit | Arts, Entertainment, and Recreation | - | - |
| Floral Art | Retailer | - | - |
| Glo Active | Arts, Entertainment, and Recreation | - | - |
| Maria, Kym & Company Hair Salon | Services | - | - |
| TaxPlus | Finance and Insurance | - | - |
| Veganics | Accommodation and Food Services | - | - |
Property Facts
| Total Space Available | 1,858 SF | Gross Leasable Area | 8,161 SF |
| Property Type | Retail | Year Built | 1947 |
| Property Subtype | Storefront Retail/Office | Parking Ratio | 1.1/1,000 SF |
| Total Space Available | 1,858 SF |
| Property Type | Retail |
| Property Subtype | Storefront Retail/Office |
| Gross Leasable Area | 8,161 SF |
| Year Built | 1947 |
| Parking Ratio | 1.1/1,000 SF |
About the Property
This vibrant 12-unit retail block features a diverse mix of long-term tenants, including restaurants, a floral shop, a beauty salon, tax services, and other established businesses. Located on the north side of Venice Boulevard between Beethoven and Moore, this commercial intersection is a high-visibility, high-traffic area that has seen a significant resurgence in retail activity. It is conveniently located 2 miles from the beach and Marina Del Rey, less than 1 mile to Lincoln Blvd, and 1.5 miles to the 405 freeway. Each storefront features 80% floor-to-ceiling glass, maximizing natural light and street exposure to attract customers. Tenants are assigned individual parking spaces, and the property owner provides weekly maintenance and trash service. All units include private restrooms, with select spaces offering additional storage and private patios. This location offers a rare opportunity to join a well-maintained, prominent commercial hub in a thriving neighborhood at an affordable cost. Existing tenants have an average tenure of 9 years, with several in place for over 15 years.
- Signage
- Signalized Intersection
- Tenant Controlled HVAC
- Smoke Detector
Nearby Major Retailers
Presented by
12801-12813 Venice Blvd
Hmm, there seems to have been an error sending your message. Please try again.
Thanks! Your message was sent.




