Log In/Sign Up
Your email has been sent.
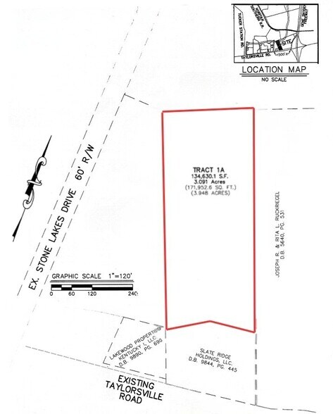
12901 Taylorsville Rd
Louisville, KY 40299
Land For Lease


Highlights
- Easy access to Interstate 265 and Taylorsville Rd interchange.
- Surrounded by quality tenant mix such as Kroger, El Nopal, Cellular Advantage, Big League Hair Cuts and many more.
- Great multi lot development opportunity.
Property Overview
3 acres available for sale or lease. The property is zoned C-2 and utilities, including sewer, are available to site. Make Offer!
Property Facts
| Total Space Available | 2.30 AC | Property Subtype | Commercial |
| Property Type | Land | Proposed Use | Commercial |
| Total Space Available | 2.30 AC |
| Property Type | Land |
| Property Subtype | Commercial |
| Proposed Use | Commercial |
1 of 5
Videos
Matterport 3D Exterior
Matterport 3D Tour
Photos
Street View
Street
Map
