Log In/Sign Up
Your email has been sent.
Investment Highlights
- New O'Reilly's and Wash City Car Wash
- Growing population
- Great visibility
- High exposure 38,000+ cars per day
- New retail development on Duncan Drive
Executive Summary
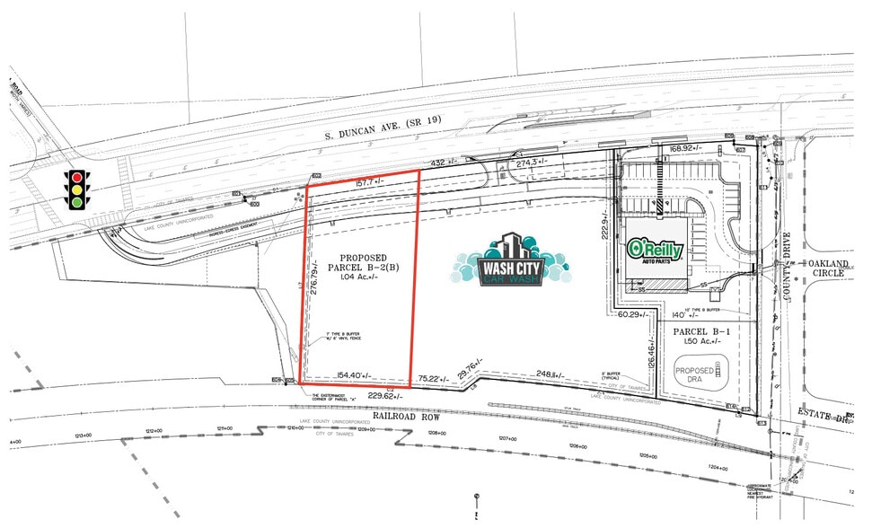
1.04 +/- AC vacant land available for sale or ground lease on the corner of S Duncan Drive and County Road in Tavares, Florida. Location features excellent street visibility and heavy traffic counts. Service road access with co-retailers, the newly constructed O'Reilly Auto Parts and Wash City Car Wash. Lot is entitled for 2,500 +/- sf.
Property Facts Under Contract
| Price | $890,500 CAD | Property Subtype | Commercial |
| Sale Type | Investment | Proposed Use | |
| No. Lots | 1 | Total Lot Size | 1.04 AC |
| Property Type | Land | No. Stories | 1 |
| Zoning | A - Agricultural | ||
| Price | $890,500 CAD |
| Sale Type | Investment |
| No. Lots | 1 |
| Property Type | Land |
| Property Subtype | Commercial |
| Proposed Use | |
| Total Lot Size | 1.04 AC |
| No. Stories | 1 |
| Zoning | A - Agricultural |
1 Lot Available
Lot
| Price | $890,500 CAD | Lot Size | 1.04 AC |
| Price Per AC | $856,250.00 CAD |
| Price | $890,500 CAD |
| Price Per AC | $856,250.00 CAD |
| Lot Size | 1.04 AC |
1 1
Somewhat walkable
30/100
Exceptionally drivable
100/100
Limited public transit
30/100
Somewhat bikeable
30/100
Property Taxes
| Parcel Number | 31-19-26-0004-000-01300 | Improvements Assessment | $0 CAD |
| Land Assessment | $723,124 CAD | Total Assessment | $723,124 CAD |
Property Taxes
Parcel Number
31-19-26-0004-000-01300
Land Assessment
$723,124 CAD
Improvements Assessment
$0 CAD
Total Assessment
$723,124 CAD
1 of 6
Videos
Matterport 3D Exterior
Matterport 3D Tour
Photos
Street View
Street
Map
1 of 1
Presented by
1299 S Duncan Dr
Already a member? Log In
Hmm, there seems to have been an error sending your message. Please try again.
Thanks! Your message was sent.



