Log In/Sign Up
Your email has been sent.
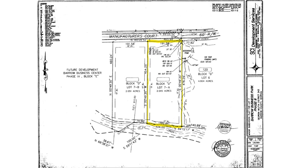
130 Manufacturers Ct - 2.05 Acre Commercial Lot Zoned M-1 Industrial 2 Acres of Commercial Land Offered at $480,971 CAD in Winder, GA 30680



Investment Highlights
- Zoned M1 for Industrial Use. Convenient to W. Winder Bypass and Hwy 316.
Executive Summary
For Sale | Industrial Land | 130 Manufacturers Court | Winder, GA. Undeveloped industrial lot located at 130 Manufacturers Court in Winder, Georgia, offering an excellent opportunity for manufacturing, warehouse, distribution, or contractor yard development. Zoned M-1, this property allows for a wide range of industrial and commercial uses and is situated within an established industrial area of Barrow County. The site provides convenient access to Hwy 316, Athens, and the metro Atlanta market, making it well-positioned for owner-users or investors seeking industrial land in a growing corridor.
Offered for sale – additional information available upon request.
Offered for sale – additional information available upon request.
Property Facts
1 Lot Available
Lot 1
| Price | $480,971 CAD | Lot Size | 2.00 AC |
| Price Per AC | $240,485.43 CAD |
| Price | $480,971 CAD |
| Price Per AC | $240,485.43 CAD |
| Lot Size | 2.00 AC |
2.05 Acres Zoned M1. 190' road frontage. ~470' deep. Utilities available. Wooded Lot. Slopes down towards the rear of the property.
Description
190' of road frontage. 470' deep. Property slopes to rear. Utilities available. One of the remaining undeveloped lots in Barrow Business Park.
1 1
Somewhat walkable
20/100
Exceptionally drivable
90/100
Fairly bikeable
50/100
Property Taxes
| Parcel Number | XX050C-017 | Improvements Assessment | $0 CAD |
| Land Assessment | $84,629 CAD | Total Assessment | $84,629 CAD |
Property Taxes
Parcel Number
XX050C-017
Land Assessment
$84,629 CAD
Improvements Assessment
$0 CAD
Total Assessment
$84,629 CAD
1 of 9
Videos
Matterport 3D Exterior
Matterport 3D Tour
Photos
Street View
Street
Map
1 of 1
Presented by
130 Manufacturers Ct - 2.05 Acre Commercial Lot Zoned M-1 Industrial
Already a member? Log In
Hmm, there seems to have been an error sending your message. Please try again.
Thanks! Your message was sent.
