Log In/Sign Up
Your email has been sent.
1300 Franklin Tpke
Danville, VA 24540
Hard Corner Retail Pad Sites on Franklin Tpke · Land For Sale
·
2.52 AC


Investment Highlights
- Both sites zoned Neighborhood Retail Commercial in the City of Danville
- All utilities are in place on-site
- High visibility sites with 17,000+ VPD on Franklin Turnpike
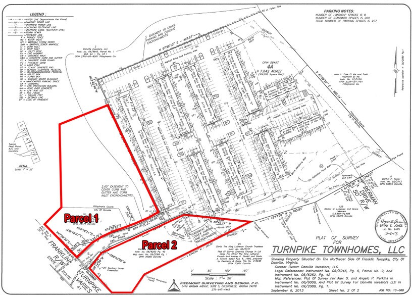
- Parcel #1 Franklin Turnpike road frontage 103 ft; Parcel #2 Franklin Turnpike road frontage 150 ft
Executive Summary
Two hard corner retail pad sites available
– Parcel 1 (0.42-1.5 AC)
– Parcel 2 (1.02 AC)
• Both sites zoned Neighborhood Retail Commercial in the City of Danville
• High visibility sites with 17,000+ VPD on Franklin Turnpike
• Parcel #1 Franklin Turnpike road frontage 103 ft; Parcel #2 Franklin Turnpike road frontage 150 ft
• All utilities are in place on-site
– Parcel 1 (0.42-1.5 AC)
– Parcel 2 (1.02 AC)
• Both sites zoned Neighborhood Retail Commercial in the City of Danville
• High visibility sites with 17,000+ VPD on Franklin Turnpike
• Parcel #1 Franklin Turnpike road frontage 103 ft; Parcel #2 Franklin Turnpike road frontage 150 ft
• All utilities are in place on-site
Property Facts
| Sale Type | Owner User | Property Subtype | Commercial |
| No. Lots | 2 | Total Lot Size | 2.52 AC |
| Property Type | Land | ||
| Zoning | NRC | ||
| Sale Type | Owner User |
| No. Lots | 2 |
| Property Type | Land |
| Property Subtype | Commercial |
| Total Lot Size | 2.52 AC |
| Zoning | NRC |
2 Lots Available
Lot
| Lot Size | 1.50 AC |
| Lot Size | 1.50 AC |
Two hard corner retail pad sites available – Parcel 1 (0.42-1.5 AC)
Lot
| Lot Size | 1.02 AC |
| Lot Size | 1.02 AC |
Two hard corner retail pad sites available – Parcel 2 (1.02 AC)
Description
Two hard corner retail pad sites available – Parcel 1 (0.42-1.5 AC) – Parcel 2 (1.02 AC) • Both sites zoned Neighborhood Retail Commercial in the City of Danville • High visibility sites with 17,000+ VPD on Franklin Turnpike • Parcel #1 Franklin Turnpike road frontage 103 ft; Parcel #2 Franklin Turnpike road frontage 150 ft • All utilities are in place on-site
1 of 3
Videos
Matterport 3D Exterior
Matterport 3D Tour
Photos
Street View
Street
Map
