Log In/Sign Up
Your email has been sent.
13122 Hooper Rd
Baton Rouge, LA 70818
Land For Sale
·
5.52 AC


Executive Summary
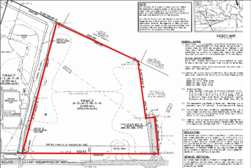
Located within the City Limits of Central, this 5.52± acre B-5 Large Scale
Commercial tract is a highly visible development opportunity featuring
approximately 602.43± feet of frontage on Hooper Road. Positioned between Joor
Road and Sullivan Road, the property benefits from strong traffic exposure and
proximity to surrounding commercial growth.
The expansive frontage and size make this tract ideal for retail, service
commercial, office, automotive related uses, or multifamily development in a
rapidly growing area of Central. Zoned B-5; The purpose of Large-Scale
Commercial/Business District (B-5) is for high intensity development; specifically,
large scale retail and office providing destination uses for patrons residing within
and outside of the city. The tract is located in Flood Zone AE
Commercial tract is a highly visible development opportunity featuring
approximately 602.43± feet of frontage on Hooper Road. Positioned between Joor
Road and Sullivan Road, the property benefits from strong traffic exposure and
proximity to surrounding commercial growth.
The expansive frontage and size make this tract ideal for retail, service
commercial, office, automotive related uses, or multifamily development in a
rapidly growing area of Central. Zoned B-5; The purpose of Large-Scale
Commercial/Business District (B-5) is for high intensity development; specifically,
large scale retail and office providing destination uses for patrons residing within
and outside of the city. The tract is located in Flood Zone AE
Property Facts
| Sale Type | Investment | Property Subtype | Commercial |
| No. Lots | 1 | Proposed Use | Commercial |
| Property Type | Land | Total Lot Size | 5.52 AC |
| Zoning | B5 | ||
| Sale Type | Investment |
| No. Lots | 1 |
| Property Type | Land |
| Property Subtype | Commercial |
| Proposed Use | Commercial |
| Total Lot Size | 5.52 AC |
| Zoning | B5 |
1 Lot Available
Lot
| Price | $1,290,214 CAD | Lot Size | 5.52 AC |
| Price Per AC | $233,734.41 CAD |
| Price | $1,290,214 CAD |
| Price Per AC | $233,734.41 CAD |
| Lot Size | 5.52 AC |
1 of 8
Videos
Matterport 3D Exterior
Matterport 3D Tour
Photos
Street View
Street
Map
