Log In/Sign Up
Your email has been sent.
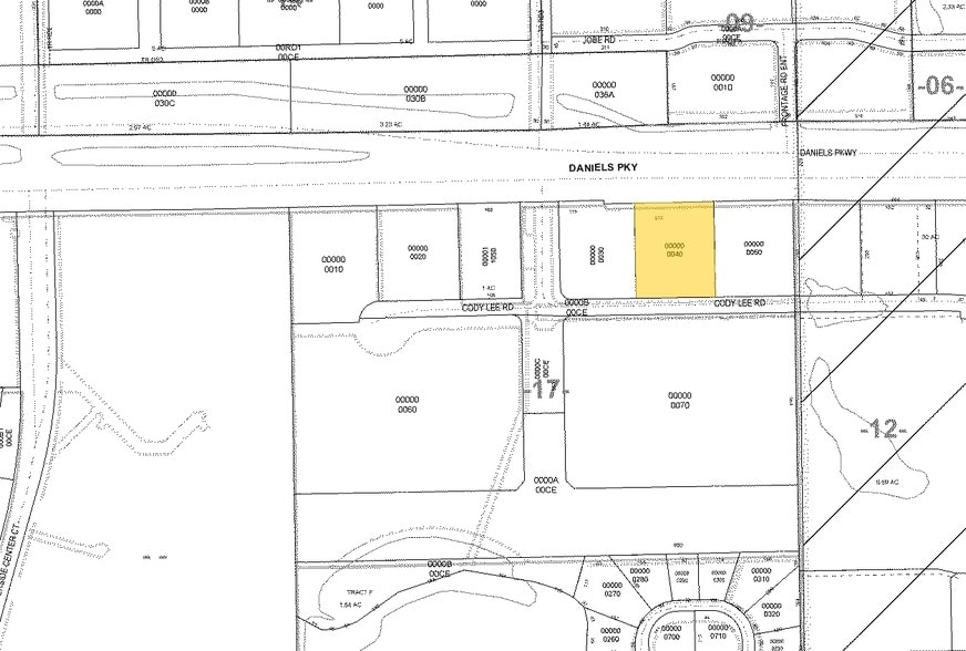
13501-13521 Daniels Pky - POWERS COURT CENTRE 1.7 Acres of Commercial Land Offered at $5,302,050 CAD in Fort Myers, FL 33913

Investment Highlights
- D.O. in place for 100,000 SF Retail
- Ready to Build! Infrastructure in place.
- 3 miles from Southwest Florida Regional Airport.
- Corner of Daniels Pkwy and Fiddlesticks Blvd
- Just west of Publix, Dairy Queen, I-75, and Interop Technologies
Executive Summary
READY TO BUILD ROADS, RETENTION, AND UTILITIES IN PLACE. LOCATED NEXT TO PUBLIX, DAIRY QUEEN, BB&T BANK, AND INTEROP TECHNOLOGIES. Utilities, Power and Water on Site. Site is conveniently located in South Fort Myers on Daniels Pkwy and I75 close to SWFL Regional Airport.
Property Facts
| Price | $5,302,050 CAD | Property Subtype | Commercial |
| Sale Type | Investment | Proposed Use | |
| No. Lots | 1 | Total Lot Size | 1.70 AC |
| Property Type | Land | ||
| Zoning | CPD - Commercial Planned Devlopment | ||
| Price | $5,302,050 CAD |
| Sale Type | Investment |
| No. Lots | 1 |
| Property Type | Land |
| Property Subtype | Commercial |
| Proposed Use | |
| Total Lot Size | 1.70 AC |
| Zoning | CPD - Commercial Planned Devlopment |
1 Lot Available
Lot 4
| Price | $5,302,050 CAD | Lot Size | 1.70 AC |
| Price Per AC | $3,118,853.06 CAD |
| Price | $5,302,050 CAD |
| Price Per AC | $3,118,853.06 CAD |
| Lot Size | 1.70 AC |
READY TO BUILD ROADS, RETENTION, AND UTILITIES IN PLACE. LOCATED NEXT TO PUBLIX, RACETRAC,DAIRY QUEEN, BB&T BANK, AND INTEROP TECHNOLOGIES.
Description
READY TO BUILD ROADS, RETENTION, AND UTILITIES IN PLACE. LOCATED NEXT TO PUBLIX, DAIRY QUEEN, BB&T BANK, AND INTEROP TECHNOLOGIES. Utilities, Electricity/Power and Water on Site. Site is conveniently located in South Fort Myers on Daniels Pkwy and I75 close to SWFL Regional Airport.
1 1
Fairly walkable
50/100
Exceptionally drivable
100/100
Limited public transit
30/100
Moderately bikeable
60/100
1 of 2
Videos
Matterport 3D Exterior
Matterport 3D Tour
Photos
Street View
Street
Map
1 of 1
Presented by
13501-13521 Daniels Pky - POWERS COURT CENTRE
Already a member? Log In
Hmm, there seems to have been an error sending your message. Please try again.
Thanks! Your message was sent.
