Log In/Sign Up
Your email has been sent.
1380 Albany Post Rd - Riverwoods Development site 1.6 Acres of Residential Land in Croton on Hudson, NY 10520



Investment Highlights
- The parcels (lots 14 and 15) are in bucolic wooded area on 1.6+ acres of landk.
- Approved for 29 Unit Development
- Nestled between Hudson National Golf Club and Oscawana Par
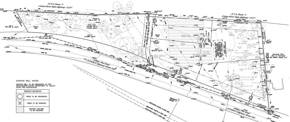
Executive Summary
Riverwoods, the development site located at 1380 Albany Post Road, Croton on Hudson offers developers the opportunity to purchase a fully approved 29-unit multifamily development with a superior location. Adjacent to the Graff Audubon Sanctuary, the property is minutes from the Hudson River with easy access on the Metro-North Hudson Line to Grand Central Terminal and easy access to scenic Route 9 which runs north-south along the Hudson River. A special permit for the development was issued in 2022 and renewed in June of 2025. The plan calls for construction of a 3-story, wood frame building, consisting of (29) units, (26) free market units and (3) affordable units in compliance with local laws. It is estimated that the gross buildable for the development to be 27, 654 SF. A breakdown of the units mix reflects (16) one-bedroom units and (10) two-bedroom units with a highly amenities lobby.
Property Facts
| Sale Type | Investment | Property Subtype | Residential |
| Sale Condition | Redevelopment Project | Proposed Use | Multifamily |
| No. Lots | 1 | Total Lot Size | 1.60 AC |
| Property Type | Land | ||
| Zoning | O-1 - Limited Office, also NEGD (North End Gateway Overlay District) | ||
| Sale Type | Investment |
| Sale Condition | Redevelopment Project |
| No. Lots | 1 |
| Property Type | Land |
| Property Subtype | Residential |
| Proposed Use | Multifamily |
| Total Lot Size | 1.60 AC |
| Zoning | O-1 - Limited Office, also NEGD (North End Gateway Overlay District) |
1 Lot Available
Lot
| Lot Size | 1.60 AC |
| Lot Size | 1.60 AC |
The parcels (lots 14 and 15) are in bucolic wooded area on 1.6+ acres of land, nestled between Hudson National Golf Club and Oscawana Park.
1 1
Somewhat walkable
30/100
Exceptionally drivable
100/100
Limited public transit
30/100
Somewhat bikeable
20/100
Property Taxes
| Parcel Number | 2203-067-010-00002-000-0015 | Improvements Assessment | $7,777 CAD |
| Land Assessment | $3,700 CAD | Total Assessment | $11,477 CAD |
Property Taxes
Parcel Number
2203-067-010-00002-000-0015
Land Assessment
$3,700 CAD
Improvements Assessment
$7,777 CAD
Total Assessment
$11,477 CAD
1 of 4
Videos
Matterport 3D Exterior
Matterport 3D Tour
Photos
Street View
Street
Map
1 of 1
Presented by
1380 Albany Post Rd - Riverwoods Development site
Already a member? Log In
Hmm, there seems to have been an error sending your message. Please try again.
Thanks! Your message was sent.
