Share This Listing

Message

928 characters remaining

Hmm, there seems to have been an error sending your message. Please try again.

Your email has been sent.

Still interested?

Contact the broker for more information about this property

Haney Commercial Pads 139 and 273 N. 26th Avenue 1.3 - 2.73 Acres of Commercial Land for Lease in Cornelius, OR 97113

Save this listing!

Favourite this listing to get notified of price updates, new media and more

HIGHLIGHTS

  • Drive thru lot options. Retail, restaurant or medical allowed.
  • Located at a lighted intersection along Tualatin Valley Highway (OR 8) with 33,927 VPD with easy ingress/egress off N. 26th Avenue.

LOT AVAILABLE

Display Rental Rate as

Rental Rate
  • Upon Request
  • Upon Request
  • Upon Request
  • Upon Request
Lease Term Negotiable
Lot Size 1.30 - 2.73 AC

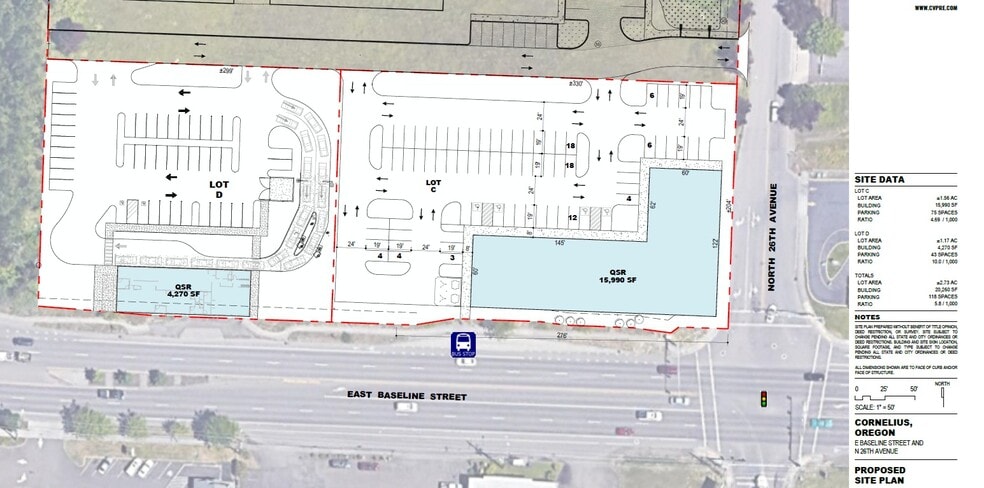
*For Lease Options on Inline Shop Space Available- Site Plan Attached
Ground Lease or Build-to-Suit Opportunity
Cornelius Commercial Pads Options- Now inline spaces available to Lease! Please call broker for pricing.

Please note site plan is flexible.
• Zoned: Gateway Mixed-Use (GMU). Allows for QSR drive-thru, restaurant, retail, and medical.
• Located at a lighted intersection along Tualatin Valley Highway (OR 8) with 33,927 VPD with easy ingress/egress off N. 26th
Avenue.
• High traffic retail area with close proximity to Fred Meyers, Act V Theatres, Burger King, Panda Express, and more. Adjacent to future multifamily development.

PROPERTY OVERVIEW

Commercial pads are anchored by multifamily apartments to the North. Access is off of 26th Avenue. Additionally, a frontage road will run across the property connecting the adjacent commercial pads for better flow. Property is expected to be delivered in late 2026. Please call broker for details and rates.

PROPERTY FACTS

Total Space Available 2.73 AC
Min. Divisible 1.30 AC
Property Type Land
Property Subtype Commercial
Proposed Use
Commercial
  • Retail
  • Fast Food
  • Healthcare
  • Restaurant
  • Winery or Vineyard
Bike Score®
Very Bikeable (75)
What is a Walk Score®, Transit Score® & Bike Score®?
Walk Score® measures the walkability of any address.
Transit Score® measures access to public transit.
Bike Score® measures bikeability of a location.
What is a Walk Score®
, Transit Score® & Bike Score?
Walk Score® measures the walkability
of any address. Transit Score®
measures access to public transit. Bike Score®
measures bikeability of a location.®
  • Listing ID: 34790919

  • Date on Market: 2025-09-26

  • Last Updated:

  • Address: 139 and 273 N. 26th Avenue, Cornelius, OR 97113

Link copied
Your LoopNet account has been created!

Please Share Your Feedback

We welcome any feedback on how we can improve LoopNet to better serve your needs.
X
{{ getErrorText(feedbackForm.starRating, "rating") }}
255 character limit ({{ remainingChars() }} charactercharacters remainingover)
{{ getErrorText(feedbackForm.msg, "rating") }}
{{ getErrorText(feedbackForm.fname, "first name") }}
{{ getErrorText(feedbackForm.lname, "last name") }}
{{ getErrorText(feedbackForm.phone, "phone number") }}
{{ getErrorText(feedbackForm.phonex, "phone extension") }}
{{ getErrorText(feedbackForm.email, "email address") }}