Log In/Sign Up
Your email has been sent.
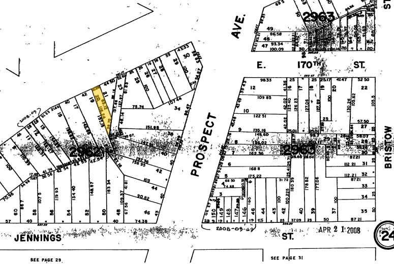
1394-1396 Boston Rd 0.1 Acres of Commercial Land in Bronx, NY 10456



Executive Summary
This property at 1394-1396 Boston Road offers a prime redevelopment opportunity in the heart of the Bronx. Situated on a 4,200sf lot with R6 zoning and a C2-4 commercial overlay, the site provides flexibility for mixed-use development, including residential and retail components. Its strategic location along Boston Road ensures strong visibility and accessibility, making it ideal for investors seeking to capitalize on the area’s dense population and robust transit connectivity.
Property Facts
| Sale Type | Investment | Property Subtype | Commercial |
| No. Lots | 1 | Proposed Use | |
| Property Type | Land | Total Lot Size | 0.10 AC |
| Zoning | R6/C2-4 - Medium density residential district | ||
| Sale Type | Investment |
| No. Lots | 1 |
| Property Type | Land |
| Property Subtype | Commercial |
| Proposed Use | |
| Total Lot Size | 0.10 AC |
| Zoning | R6/C2-4 - Medium density residential district |
1 Lot Available
Lot
| Lot Size | 0.10 AC |
| Lot Size | 0.10 AC |
Commercial and residential redevelopment site with 70ft of frontage.
Description
The property benefits from excellent public transportation options, with multiple subway stations within walking distance, including Freeman Street and 174th Street stations serving the 2 and 5 lines. This connectivity positions the site as a desirable location for future tenants and businesses. The surrounding neighborhood is a vibrant urban hub with a mix of residential, retail, and community amenities, ensuring consistent foot traffic and demand for services.
1 1
Exceptionally walkable
100/100
Moderately drivable
60/100
Exceptional public transit
100/100
Moderately bikeable
70/100
Property Taxes
| Parcel Number | 02962-0020 | Improvements Assessment | $1,853 CAD |
| Land Assessment | $111,912 CAD | Total Assessment | $113,765 CAD |
Property Taxes
Parcel Number
02962-0020
Land Assessment
$111,912 CAD
Improvements Assessment
$1,853 CAD
Total Assessment
$113,765 CAD
1 of 6
Videos
Matterport 3D Exterior
Matterport 3D Tour
Photos
Street View
Street
Map
1 of 1
Presented by
1394-1396 Boston Rd
Already a member? Log In
Hmm, there seems to have been an error sending your message. Please try again.
Thanks! Your message was sent.
