Log In/Sign Up
Your email has been sent.
Investment Highlights
- High visibility - city plans to extend Kyle Parkway to this site
- Popular site for addition medical development or residential
Executive Summary
Adjacent 5.74 Acre tract also available.
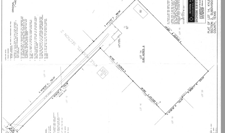
Property Facts
1 Lot Available
Lot
| Lot Size | 5.90 AC |
| Lot Size | 5.90 AC |
Description
Located along the path of the future extension of Kyle Pkwy near Seton Hays 165-bed Hospital. Funding for road secured in 2022 Kyle Road Bond. South side of property to be dedicated for ROW of future Kyle Pkwy. Rapidly developing area perfectly located for retail, office, medical, or mixed use development. Adjacent sites also available. Located near Seton Hays, a 165-Bed Hospital, and future St. David’s 550-Bed Hospital.
1 1
Fairly walkable
50/100
Exceptionally drivable
100/100
Somewhat bikeable
30/100
1 of 5
Videos
Matterport 3D Exterior
Matterport 3D Tour
Photos
Street View
Street
Map
1 of 1
Presented by
1400 Dacy Ln
Already a member? Log In
Hmm, there seems to have been an error sending your message. Please try again.
Thanks! Your message was sent.



