Log In/Sign Up
Your email has been sent.
1410A Monument Blvd
Concord, CA 94520
Monument Plaza Bldg · Office Property For Sale


Executive Summary
Highlights include a highly visible property with prime signage placement on Monument Boulevard, which has an average daily traffic (ADT) of 33,328. This opportunity is suitable for owner-users or investors. The first floor features a veterinary hospital buildout and the building includes an elevator. The location is central and convenient.
Property Facts
Sale Type
Investment or Owner User
Property Type
Office
Property Subtype
Medical
Building Size
19,586 SF
Building Class
B
Year Built
1980
Tenancy
Single
Building Height
2 Stories
Typical Floor Size
9,793 SF
Building FAR
0.61
Lot Size
0.74 AC
Zoning
CMX
Parking
65 Spaces (3.32 Spaces per 1,000 SF Leased)
Amenities
- Signage
- Central Heating
- Air Conditioning
- Balcony
Property Taxes
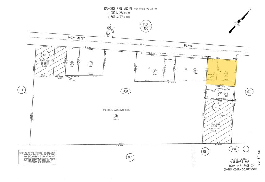
| Parcel Number | 147-030-041-7 | Improvements Assessment | $5,154,831 CAD |
| Land Assessment | $1,452,000 CAD | Total Assessment | $6,606,832 CAD |
Property Taxes
Parcel Number
147-030-041-7
Land Assessment
$1,452,000 CAD
Improvements Assessment
$5,154,831 CAD
Total Assessment
$6,606,832 CAD
1 of 5
Videos
Matterport 3D Exterior
Matterport 3D Tour
Photos
Street View
Street
Map
