Log In/Sign Up
Your email has been sent.
143 Shawangunk rd - ESPM 2 Lots 2.1 Acres of Commercial Land Offered at $159,265 CAD in Middletown, NY 10941



EXECUTIVE SUMMARY
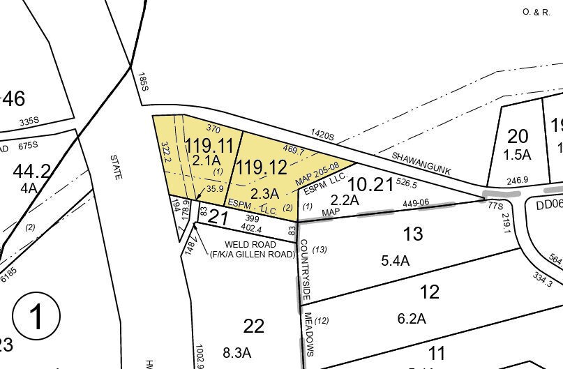
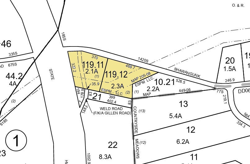
TWO lots available for $115,000 each. Zoned Highway Commercial, suitable for several commercial uses subject to site plan approval. Lot 1 is 2.1 acres. Lot 2 is 2.3 acres. Previously engineered but needs to be updated as part of the design process. Good location between exits 116 and 118 on NYS Rt 17/Quickway/Interstate 86 providing excellent interstate and highway access. High visibility. Engineered for single family use, which requires a variance.
PROPERTY FACTS
| Price | $159,265 CAD | Property Subtype | Commercial |
| Sale Type | Investment or Owner User | Proposed Use | Commercial |
| No. Lots | 1 | Total Lot Size | 2.15 AC |
| Property Type | Land | ||
| Zoning | HC - Highway Commercial - See Documents | ||
| Price | $159,265 CAD |
| Sale Type | Investment or Owner User |
| No. Lots | 1 |
| Property Type | Land |
| Property Subtype | Commercial |
| Proposed Use | Commercial |
| Total Lot Size | 2.15 AC |
| Zoning | HC - Highway Commercial - See Documents |
1 LOT AVAILABLE
Lot
| Price | $159,265 CAD | Lot Size | 2.10 AC |
| Price Per AC | $75,840.31 CAD |
| Price | $159,265 CAD |
| Price Per AC | $75,840.31 CAD |
| Lot Size | 2.10 AC |
TWO lots available for $115,000 each. Zoned Highway Commercial, suitable for several commercial uses subject to site plan approval. Lot 1 is 2.1 acres. Lot 2 is 2.3 acres. Previously engineered but needs to be updated as part of the design process.
1 1
PROPERTY TAXES
| Parcel Number | 335200-003-000-0001-119.110-0000 | Improvements Assessment | $0 CAD |
| Land Assessment | $4,432 CAD | Total Assessment | $4,432 CAD |
PROPERTY TAXES
Parcel Number
335200-003-000-0001-119.110-0000
Land Assessment
$4,432 CAD
Improvements Assessment
$0 CAD
Total Assessment
$4,432 CAD
1 of 4
VIDEOS
MATTERPORT 3D EXTERIOR
MATTERPORT 3D TOUR
PHOTOS
STREET VIEW
STREET
MAP
1 of 1
Presented by
143 Shawangunk rd - ESPM 2 Lots
Already a member? Log In
Hmm, there seems to have been an error sending your message. Please try again.
Thanks! Your message was sent.
