Your email has been sent.
Investment Highlights
- Three contiguous parcels offering combined or separate development options.
- Positioned near established residential neighborhoods and strong retail corridors.
- Significant frontage providing branding and visibility for future projects.
- Highly accessible location with proximity to major highways and thoroughfares.
- Flexible zoning suitable for commercial and mixed-use opportunities.
Executive Summary
Property Facts
| Price | $2,663,037 CAD | Property Subtype | Commercial |
| Sale Type | Investment | Proposed Use | |
| No. Lots | 1 | Total Lot Size | 7.97 AC |
| Property Type | Land | ||
| Zoning | R1 - Residential | ||
| Price | $2,663,037 CAD |
| Sale Type | Investment |
| No. Lots | 1 |
| Property Type | Land |
| Property Subtype | Commercial |
| Proposed Use | |
| Total Lot Size | 7.97 AC |
| Zoning | R1 - Residential |
1 Lot Available
Lot
| Price | $2,663,037 CAD | Lot Size | 7.97 AC |
| Price Per AC | $334,132.61 CAD |
| Price | $2,663,037 CAD |
| Price Per AC | $334,132.61 CAD |
| Lot Size | 7.97 AC |
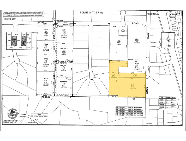
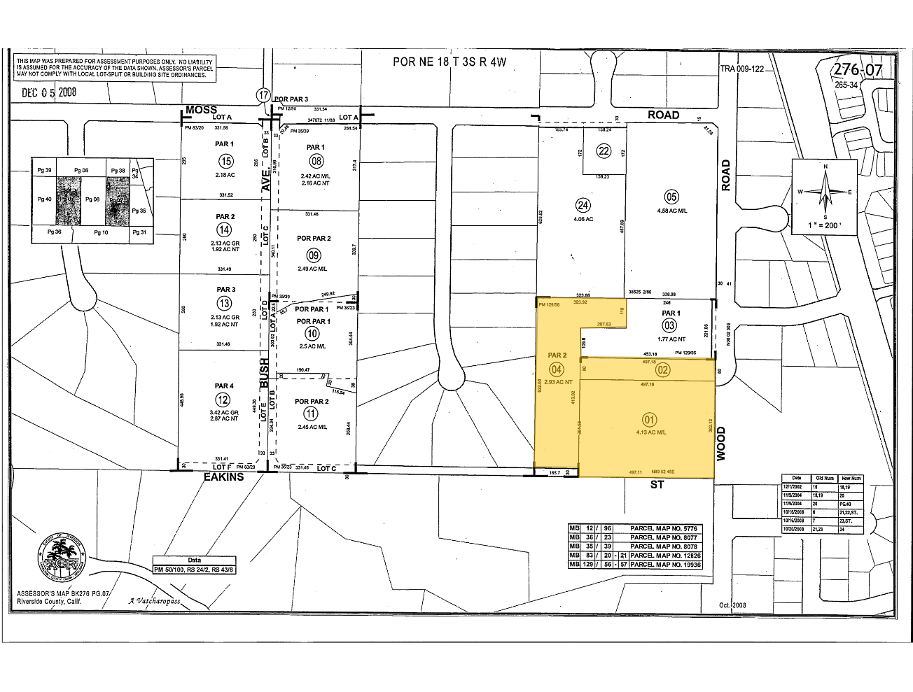
Three parcels totaling a prime development opportunity: a corner lot with strong visibility, a central parcel near retail and housing, and a versatile site with major road access. Ideal for commercial, mixed-use, or industrial with a 2,486 SF Home.
Description
Strategically positioned within an active commercial and residential hub, these three parcels create a unique canvas for innovative development. The combined land area offers versatility for a mix of uses, from retail and service-oriented businesses to office or specialty concepts. The location ensures ease of access to major highways and thoroughfares, while nearby population density provides a built-in customer and workforce base. With strong market dynamics and expanding infrastructure, the site’s connectivity supports future tenant or customer draw from adjacent communities. Developers will appreciate the ability to bring a comprehensive vision to life through either consolidated or phased implementation. With supportive local demand and flexible land configuration, the property stands out as a highly attractive land investment opportunity.
Property Taxes
| Parcel Numbers | Improvements Assessment | $278,359 CAD | |
| Land Assessment | $575,728 CAD | Total Assessment | $854,087 CAD |
Property Taxes
Presented by
14435 Wood Rd
Hmm, there seems to have been an error sending your message. Please try again.
Thanks! Your message was sent.

