Log In/Sign Up
Your email has been sent.
INVESTMENT HIGHLIGHTS
- Chapter 11 Bankruptcy Auction Sale
- Bankruptcy Auction to be held on September 24, 2025
- Initial Bids are due by September 19th, 2025
- Minimum Initial Bid of $4.1 Million
EXECUTIVE SUMMARY
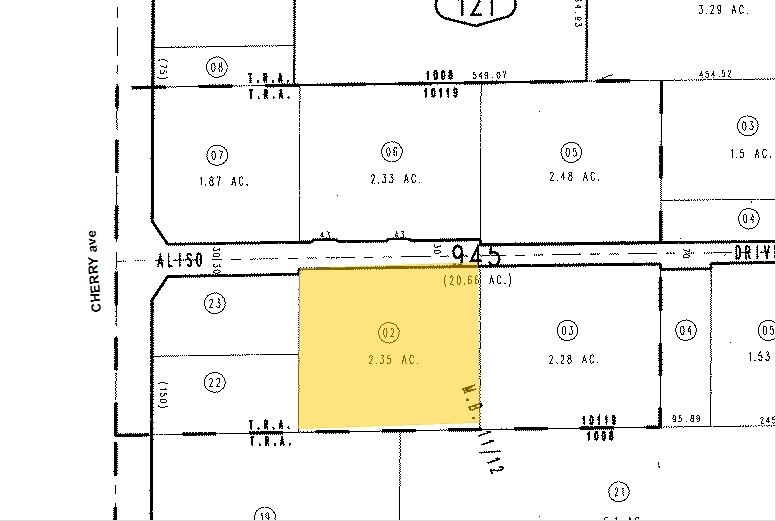
This 2.4-acre auto wrecking and recycling yard, located at 14597 Aliso Drive in Fontana, CA, presents a unique investment opportunity through a Chapter 11 Bankruptcy Auction Sale. Zoned specifically for recycling yard operations, the property includes approximately 2,000 square feet of office space and a ±3,000 square foot garage/shed. Fully approved for auto wrecking, the site is entirely fenced and secured, offering a turnkey setup for continued operations. Strategically situated near the intersection of Interstates 10 and 15, the property benefits from excellent regional connectivity within one of Southern California’s most in-demand industrial corridors. The auction features a minimum initial bid of $4.1 million, with bids due by September 19, 2025, and the auction scheduled for September 24, 2025. The location is further enhanced by proximity to major transportation hubs, including just 6.8 miles to Ontario International Airport, 61.5 miles to Los Angeles International Airport (LAX), and 62.3 miles to the Ports of Los Angeles and Long Beach. Surrounded by major industrial developments and logistics centers, this rare zoning opportunity offers significant long-term value for auto, recycling, or related industrial operations.
PROPERTY FACTS
| Sale Type | Investment | Property Subtype | Industrial |
| Sale Condition | REO Sale | Proposed Use | |
| No. Lots | 1 | Total Lot Size | 2.40 AC |
| Property Type | Land | Tenancy | Single |
| Zoning | Industrial - industrial | ||
| Sale Type | Investment |
| Sale Condition | REO Sale |
| No. Lots | 1 |
| Property Type | Land |
| Property Subtype | Industrial |
| Proposed Use | |
| Total Lot Size | 2.40 AC |
| Tenancy | Single |
| Zoning | Industrial - industrial |
1 LOT AVAILABLE
Lot
| Lot Size | 2.40 AC |
| Lot Size | 2.40 AC |
This 2.4-acre auto wrecking and recycling yard
1 1
1 of 4
VIDEOS
MATTERPORT 3D EXTERIOR
MATTERPORT 3D TOUR
PHOTOS
STREET VIEW
STREET
MAP
1 of 1
Presented by
14597 Aliso Dr - Fontana Scrap Yard
Already a member? Log In
Hmm, there seems to have been an error sending your message. Please try again.
Thanks! Your message was sent.



