Log In/Sign Up
Your email has been sent.
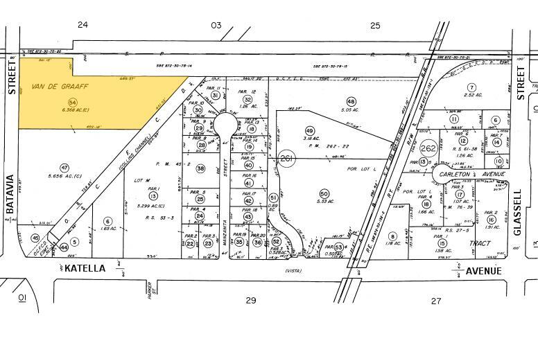
Land for Storage, Parking of Vehicles, etc 1465 N Batavia St 5.45 Acres of Industrial Land for Lease in Orange, CA 92867



HIGHLIGHTS
- Major Frontage
- M2 Zoning
- Freeway Access
LOT AVAILABLE
Display Rental Rate as
| Rental Rate |
|
Lot Size | 5.45 AC |
| Lease Term | Negotiable |
| Rental Rate | |
| Lease Term | Negotiable |
| Lot Size | 5.45 AC |
Contactors Yard, Storage Lot, RFP posted October 1, 2025.
PROPERTY OVERVIEW
+/-5.45 Acres of Land N Batavia Street 1465 N Batavia St | Orange | CA Permitted Uses: Storage, Parking of Vehicles, or other similar uses RFP posted October 1, 2025. Deadline for responses is October 24th.
PROPERTY FACTS
| Total Space Available | 5.45 AC | Property Subtype | Industrial |
| Property Type | Land |
| Total Space Available | 5.45 AC |
| Property Type | Land |
| Property Subtype | Industrial |
1 1
1 of 4
VIDEOS
MATTERPORT 3D EXTERIOR
MATTERPORT 3D TOUR
PHOTOS
STREET VIEW
STREET
MAP
1 of 1
Presented by
Land for Storage, Parking of Vehicles, etc | 1465 N Batavia St
Already a member? Log In
Hmm, there seems to have been an error sending your message. Please try again.
Thanks! Your message was sent.
