Your email has been sent.
Investment Highlights
- ±3.65-acre tract with Hwy 75 frontage near I-45.
- Located in an Economic Opportunity Zone.
- Zoned General Commercial with utilities available.
- Surrounded by residential growth and new developments.
Executive Summary
Property Facts
1 Lot Available
Lot
| Lot Size | 3.65 AC |
| Lot Size | 3.65 AC |
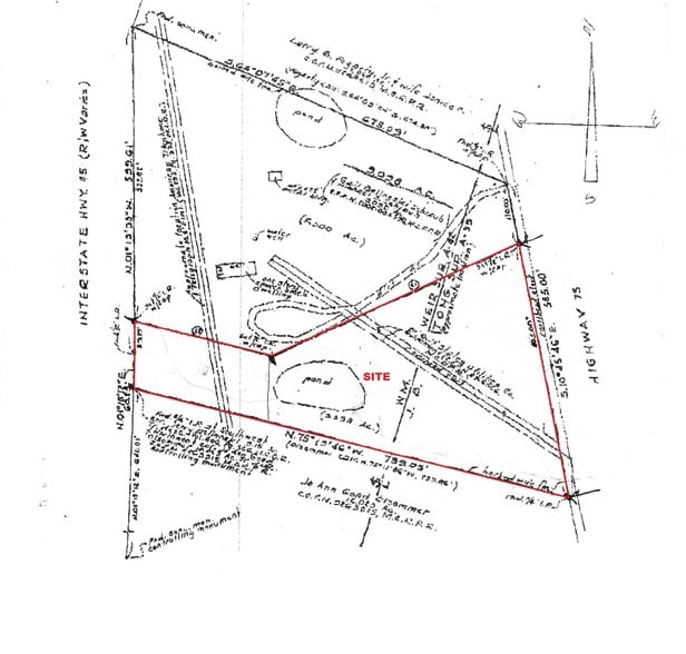
±3.65-acre commercial tract with Hwy 75 frontage in Willis, TX. Zoned General Commercial with utilities available and located in an Economic Opportunity Zone. Not in a floodplain.
Description
±3.65-acre land site located at 14699 N Hwy 75 in Willis, Texas. The property has frontage along Hwy 75 and is situated near the intersection of Calvary Road and Interstate 45. It is zoned General Commercial and has utilities available through the City of Willis. The site is within Montgomery County and the Willis Independent School District. It is located in an Economic Opportunity Zone and is not in a floodplain.
Property Taxes
| Parcel Number | 0042-00-02610 | Improvements Assessment | $0 CAD |
| Land Assessment | $575,547 CAD | Total Assessment | $575,547 CAD |
Property Taxes
Presented by
14699 N Highway 75 - Unrestricted 3.65 ACRES
Hmm, there seems to have been an error sending your message. Please try again.
Thanks! Your message was sent.




