Log In/Sign Up
Your email has been sent.
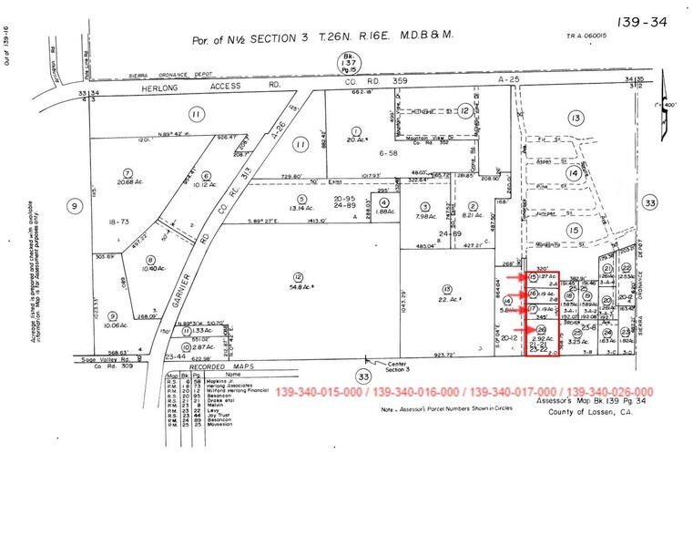
147 Tamarack St
Herlong, CA 96113
Land For Sale
·
6.57 AC


Investment Highlights
- ±7.01 AC (305,562 SF) of Vacant Land w/ 4 APN's
- Situated Near Existing Newer Housing Developments
- Growth Area - New Schools/Residential Projects Recently Built/Planned
- Ideal Site For PUD’s, Condos, Apartments, or SFR
- Near Major Corridors Servicing College, Airport, Downtown, & Schools
- Regional Retail Developments Just Minutes Away
Executive Summary
Level and rectangular ±305,562 SF (±7.01 Acres) of prime residential development land within the Opportunity Zone located in Central Herlong. Flexible property with a residential neighborhood to the north and farming/grazing to the south. Ideal development land with access directly off Tamarack St, adjacent to existing housing and utilities. Existing easement in place dedicating 25' each with the western parcel to continue Tamarack St 955' south, benefitting both parcels and developments. The land is a blank and clean canvas for flexible concepts, measuring ±320' Wide By 954.88' Deep, mostly level with good soil, and is accessible via paved roads entering from Tamarack St via Herlong Access Road. Flexible zoning that allows for a variety of residential, agricultural, and other uses; manufactured or permeant construction. The property has quick access to CA-395, which allows for convenient access to all the major highways in the area.
Property Facts
| Sale Type | Investment | Property Subtype | Residential |
| No. Lots | 1 | Proposed Use | Single Family Development |
| Property Type | Land | Total Lot Size | 6.57 AC |
| Zoning | R-1 - Residential Development | ||
| Sale Type | Investment |
| No. Lots | 1 |
| Property Type | Land |
| Property Subtype | Residential |
| Proposed Use | Single Family Development |
| Total Lot Size | 6.57 AC |
| Zoning | R-1 - Residential Development |
1 Lot Available
Lot
| Price | $53,368 CAD | Lot Size | 6.57 AC |
| Price Per AC | $8,122.92 CAD |
| Price | $53,368 CAD |
| Price Per AC | $8,122.92 CAD |
| Lot Size | 6.57 AC |
Property Taxes
| Parcel Numbers | Improvements Assessment | $0 CAD | |
| Land Assessment | $55,578 CAD | Total Assessment | $55,578 CAD |
Property Taxes
Parcel Numbers
Land Assessment
$55,578 CAD
Improvements Assessment
$0 CAD
Total Assessment
$55,578 CAD
1 of 3
Videos
Matterport 3D Exterior
Matterport 3D Tour
Photos
Street View
Street
Map
