Log In/Sign Up
Your email has been sent.
150 W Sidney Ave
Villa Park, IL 60181
North Villa Park. 4 parcels total · Land For Sale
·
0.76 AC


INVESTMENT HIGHLIGHTS
- Close to Twin Lakes park, 1.5 miles Salt Creek Greenway Trail
- Centrally located to all major expressways and only 20 minutes from O'Hare Airport
EXECUTIVE SUMMARY
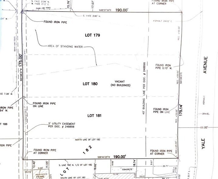
North Villa Park. 4 parcels total. Can be combined into 2 buildable lots or one large parcel. 1 parcel is 25 x 190. 3 parcels are 50 x 190. Lot#'s 182,181,& 180 are buildable. Lot 179 furthest north has wetland on it. Villa Park has 50' lot minimum width. 6' side yards, 30' front and 40' rear setbacks. Seller willing to build to suit as well. Please call with any questions. Survey available for review. LIVE, ENJOY & BUILD your next project or dream home! Minutes to Oakbrook, Elmhurst. Close to Twin Lakes park, 1.5 miles Salt Creek Greenway Trail. Centrally located to all major expressways and only 20 minutes from O'Hare Airport
PROPERTY FACTS
| Sale Type | Investment | Property Subtype | Residential |
| No. Lots | 1 | Proposed Use | Single Family Development |
| Property Type | Land | Total Lot Size | 0.76 AC |
| Zoning | Residential - Zoned Single Family Residential | ||
| Sale Type | Investment |
| No. Lots | 1 |
| Property Type | Land |
| Property Subtype | Residential |
| Proposed Use | Single Family Development |
| Total Lot Size | 0.76 AC |
| Zoning | Residential - Zoned Single Family Residential |
1 LOT AVAILABLE
Lot
| Price | $248,872 CAD | Lot Size | 0.76 AC |
| Price Per AC | $327,462.96 CAD |
| Price | $248,872 CAD |
| Price Per AC | $327,462.96 CAD |
| Lot Size | 0.76 AC |
North Villa Park. 4 parcels total. Can be combined into 2 buildable lots or one large parcel. 1 parcel is 25 x 190. 3 parcels are 50 x 190. Lot#'s 182,181,& 180 are buildable. Lot 179 furthest north has wetland on it. Villa Park has 50' lot minimum
1 of 9
VIDEOS
MATTERPORT 3D EXTERIOR
MATTERPORT 3D TOUR
PHOTOS
STREET VIEW
STREET
MAP
