Log In/Sign Up
Your email has been sent.
1516 Bass Road
Macon-Bibb, GA 31210
Providence Village Retail and Hotel Sites · Land For Sale
·
6.47 AC


Investment Highlights
- All utilities to site
Executive Summary
$750,000 per ac
Property Facts
| Sale Type | Investment or Owner User | Property Subtype | Commercial |
| No. Lots | 1 | Proposed Use | Hotel |
| Property Type | Land | Total Lot Size | 6.47 AC |
| Zoning | PDE | ||
| Sale Type | Investment or Owner User |
| No. Lots | 1 |
| Property Type | Land |
| Property Subtype | Commercial |
| Proposed Use | Hotel |
| Total Lot Size | 6.47 AC |
| Zoning | PDE |
1 Lot Available
Lot
| Lot Size | 6.47 AC |
| Lot Size | 6.47 AC |
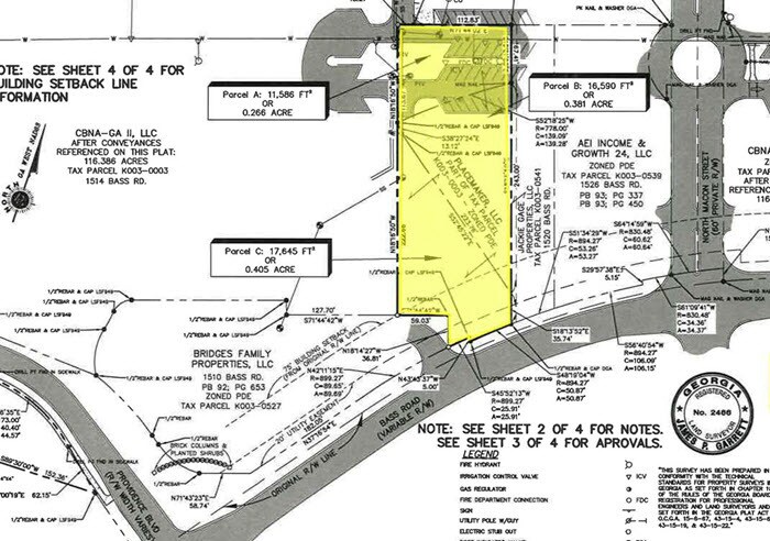
Three (3) parcels of land totaling 6.477 acres of land with great location near interstate 75 (Exit 172)
Description
Parcel 1- 1.052 acres retail site with ±112 frontage feet on Base Road, interior access. Parcel 2- 0.838 acre retail site with ±124 frontage feet on Bass Road, interior access. Parcel 3- 4.587 acres hotel site with direct access to the signalized intersection of Bass Road and Bowman Road.
1 of 6
Videos
Matterport 3D Exterior
Matterport 3D Tour
Photos
Street View
Street
Map
