Log In/Sign Up
Your email has been sent.
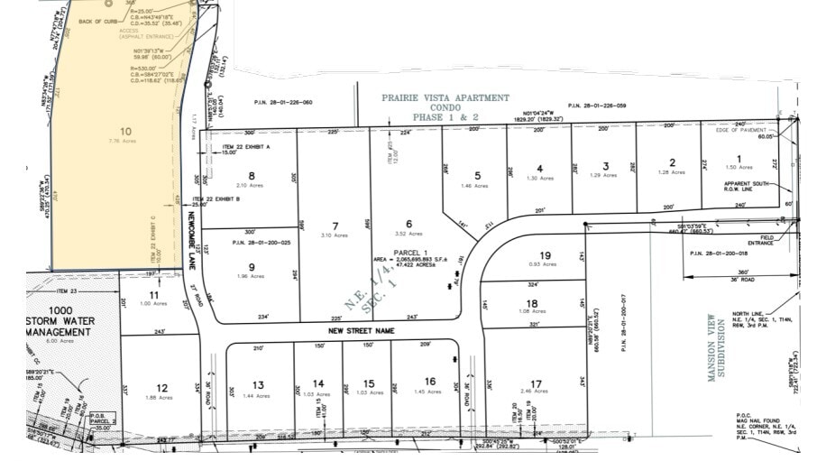
1529 N Main St - 48.99 Acres to develop - Springfield, IL MSA 48.99 Acres of Commercial Land in Chatham, IL 62629


Executive Summary
This Subject property is an opportunity to develop within the gap between Chatham and Springfield with excellent access, and visibility directly off of Route 4. Located at 1529 N Main St Chatham, IL these two parcels have 3 points of access ensuring valuable ingress egress from neighboring residential and commercial traffic.
Retail and commercial neighbors include County Market, Dollar General, Walgreens, Goodwill, Snap Fitness, Pizza Hut, Casey’s, Arby’s, and AT&T.
Price Negotiable, please contact listing agent for more details.
Retail and commercial neighbors include County Market, Dollar General, Walgreens, Goodwill, Snap Fitness, Pizza Hut, Casey’s, Arby’s, and AT&T.
Price Negotiable, please contact listing agent for more details.
Property Facts
1 Lot Available
Lot
| Lot Size | 48.99 AC |
| Lot Size | 48.99 AC |
Somewhat walkable
30/100
Exceptionally drivable
100/100
Not bikeable
10/100
Property Taxes
| Parcel Numbers | Improvements Assessment | $0 CAD | |
| Land Assessment | $57,838 CAD | Total Assessment | $57,838 CAD |
Property Taxes
Parcel Numbers
Land Assessment
$57,838 CAD
Improvements Assessment
$0 CAD
Total Assessment
$57,838 CAD
1 of 3
Videos
Matterport 3D Exterior
Matterport 3D Tour
Photos
Street View
Street
Map
Presented by
1529 N Main St - 48.99 Acres to develop - Springfield, IL MSA
Already a member? Log In
Hmm, there seems to have been an error sending your message. Please try again.
Thanks! Your message was sent.

