Log In/Sign Up
Your email has been sent.
LOT Available
Display Rental Rate as
| Rental Rate |
|
Lot Size | 4.63 AC |
| Lease Term | Negotiable |
| Rental Rate | |
| Lease Term | Negotiable |
| Lot Size | 4.63 AC |
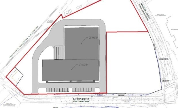
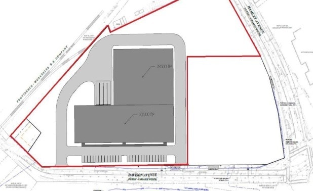
The site consists of 4.63 acres located in Woonsocket, Rhode Island and considered to be the gateway site to downtown Woonsocket. Approved, shovel ready, flat and compacted, there is the ability to fit a 60,000 + square foot building on the site. The site is ideal for new development as a possible retail center, marketplace, medical office campus, auto dealership, light industrial or warehouse.
Property Facts
| Total Space Available | 4.63 AC | Property Subtype | Commercial |
| Property Type | Land |
| Total Space Available | 4.63 AC |
| Property Type | Land |
| Property Subtype | Commercial |
1 1
Fairly walkable
50/100
Exceptionally drivable
90/100
Minimal public transit
10/100
Fairly bikeable
40/100
1 of 2
Videos
Matterport 3D Exterior
Matterport 3D Tour
Photos
Street View
Street
Map
1 of 1
Presented by
153 Hamlet Ave
Already a member? Log In
Hmm, there seems to have been an error sending your message. Please try again.
Thanks! Your message was sent.

