Log In/Sign Up
Your email has been sent.
Investment Highlights
- Immediate access to 57/210 freeways.
Executive Summary
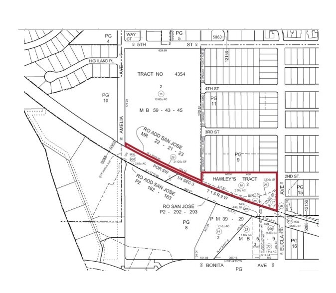
3.65 acres for sale. Parcels 10,25,26,27 and 28 are zoned within specific plan 23 (12-16 dwelling units per acre) Parcels 29 is zoned MF 25, land use is high II (16-25). Applicable San Dimas ordinances : 1314, 1315 GPA 24-03. Zone Change 24-03 Municipal Code text amendment 24-08. Gas Water and Electric to site.
Property Facts
| Sale Type | Investment | Proposed Use | |
| No. Lots | 1 | Total Lot Size | 3.65 AC |
| Property Type | Land | No. Stories | 1 |
| Property Subtype | Residential | ||
| Zoning | SP-23 /MF 25 - Industrial / MF | ||
| Sale Type | Investment |
| No. Lots | 1 |
| Property Type | Land |
| Property Subtype | Residential |
| Proposed Use | |
| Total Lot Size | 3.65 AC |
| No. Stories | 1 |
| Zoning | SP-23 /MF 25 - Industrial / MF |
1 Lot Available
Lot
| Lot Size | 3.65 AC |
| Lot Size | 3.65 AC |
3.65 acres for sale
Fairly walkable
50/100
Exceptionally drivable
100/100
Limited public transit
20/100
Fairly bikeable
50/100
Property Taxes
| Parcel Numbers | Improvements Assessment | $12,488 CAD | |
| Land Assessment | $6,817,863 CAD | Total Assessment | $6,830,351 CAD |
Property Taxes
Parcel Numbers
Land Assessment
$6,817,863 CAD
Improvements Assessment
$12,488 CAD
Total Assessment
$6,830,351 CAD
1 of 4
Videos
Matterport 3D Exterior
Matterport 3D Tour
Photos
Street View
Street
Map
Presented by
155 N Eucla Ave
Already a member? Log In
Hmm, there seems to have been an error sending your message. Please try again.
Thanks! Your message was sent.




