Log In/Sign Up
Your email has been sent.
15520 Tamiami Trl - 6831 Hendry Creek Dr 5.19 Acres of Commercial Land Offered at $4,635,306 CAD in Fort Myers, FL 33908



INVESTMENT HIGHLIGHTS
- The current CPD zoning permits a range is commercial uses, including dealerships.
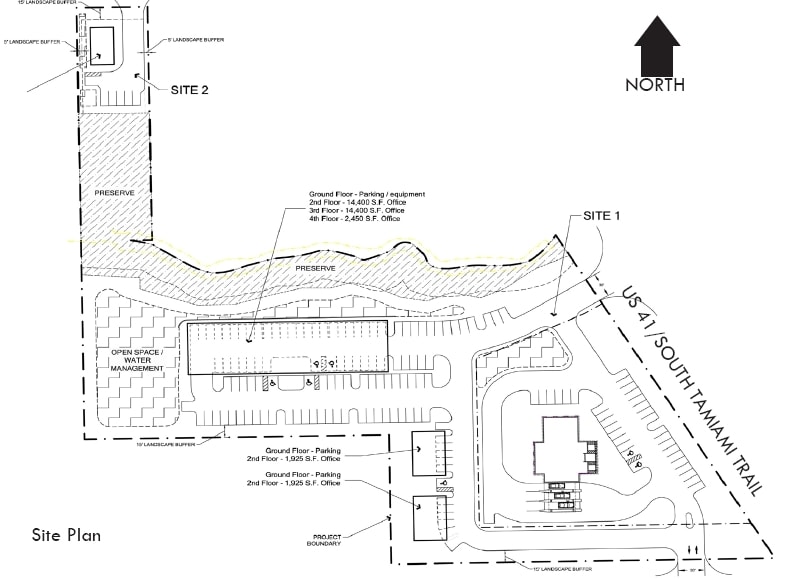
- The site includes 8,717 SF of protected lands that have been incorporated into the current conceptual plan.
- Located adjacent to signal on Tamiami Trl enhancing visibility and benefiting from high traffic counts.
EXECUTIVE SUMMARY
This exceptional commercial site is located along the bustling Tamiami Trail, adjacent to a signalized intersection for maximum visibility and accessibility. Zoned CPD (Lake Devonwood Plaza), the property is approved for a wide range of commercial uses, including automotive dealerships, and allows for up to 95,000 square feet of commercial development — with up to 30,000 square feet designated for retail use.
The parcel incorporates 8,717 square feet of protected lands into its conceptual development plan, maximizing land use efficiency while preserving natural features.
Positioned in a high-traffic area with strong surrounding demographics, this site offers an outstanding opportunity for developers and investors seeking a prime Fort Myers location.
The parcel incorporates 8,717 square feet of protected lands into its conceptual development plan, maximizing land use efficiency while preserving natural features.
Positioned in a high-traffic area with strong surrounding demographics, this site offers an outstanding opportunity for developers and investors seeking a prime Fort Myers location.
PROPERTY FACTS
| Price | $4,635,306 CAD | Property Subtype | Commercial |
| Sale Type | Investment | Proposed Use | Commercial |
| No. Lots | 1 | Total Lot Size | 5.19 AC |
| Property Type | Land | Cross Streets | Lake Devonwood Dr. |
| Zoning | CPD - Commercial Planned Development | ||
| Price | $4,635,306 CAD |
| Sale Type | Investment |
| No. Lots | 1 |
| Property Type | Land |
| Property Subtype | Commercial |
| Proposed Use | Commercial |
| Total Lot Size | 5.19 AC |
| Cross Streets | Lake Devonwood Dr. |
| Zoning | CPD - Commercial Planned Development |
1 LOT AVAILABLE
Lot
| Price | $4,635,306 CAD | Lot Size | 5.19 AC |
| Price Per AC | $893,122.56 CAD |
| Price | $4,635,306 CAD |
| Price Per AC | $893,122.56 CAD |
| Lot Size | 5.19 AC |
The current CPD zoning permits a range is commercial uses, including dealerships. The site includes 8,717 SF of protected lands that have been incorporated into the current conceptual plan.
1 1
PROPERTY TAXES
| Parcel Numbers | Improvements Assessment | $0 CAD | |
| Land Assessment | $0 CAD | Total Assessment | $1,841,093 CAD |
PROPERTY TAXES
Parcel Numbers
Land Assessment
$0 CAD
Improvements Assessment
$0 CAD
Total Assessment
$1,841,093 CAD
1 of 4
VIDEOS
MATTERPORT 3D EXTERIOR
MATTERPORT 3D TOUR
PHOTOS
STREET VIEW
STREET
MAP
1 of 1
Presented by
15520 Tamiami Trl - 6831 Hendry Creek Dr
Already a member? Log In
Hmm, there seems to have been an error sending your message. Please try again.
Thanks! Your message was sent.
