Log In/Sign Up
Your email has been sent.
Investment Highlights
- Handsome Clear Span Beautiful Brick Building Available Now
- Interior Truck Loading Open Layout
- Versatile Building For Many Uses
- In the Arts District
- Creative Building, Ideal For Design, Apparel, Warehouse & Film Studio
Executive Summary
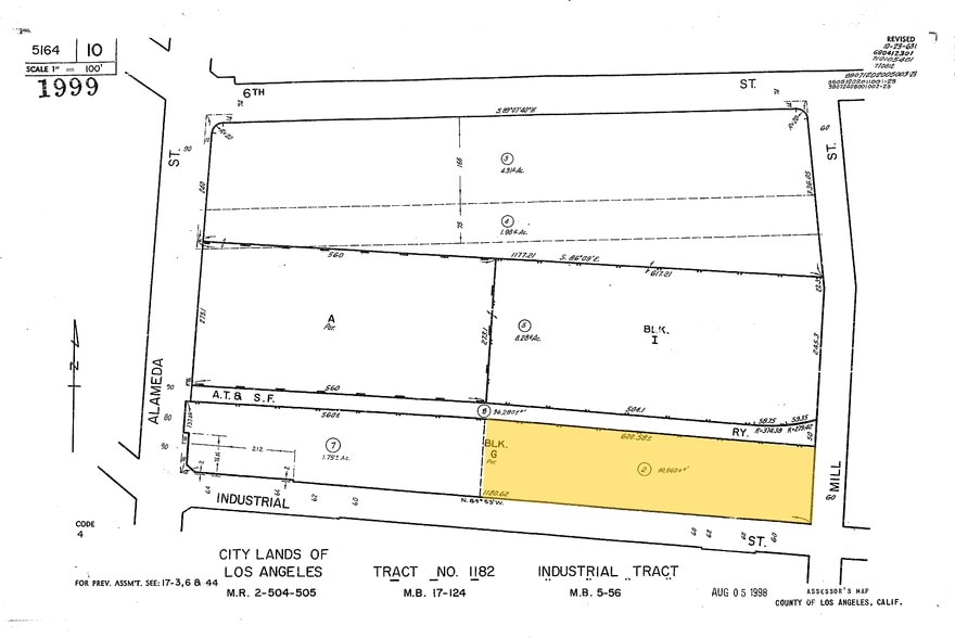
Excellent Arts District Development Site 92,701 SF, Land 2.13 Acres
4 Leased Buildings - Short Term Leases Provides In Place Cash Flow To Cover Expenses While Working Through The Entitlement Process,
Or DTLA 2040 To Pass Hybrid Industrial Zone Allowing Commercial & Residential Uses With A Potential Commercial & Residential Uses With A Potential FAR of 3:1 To 6:1
Qualified Opportunity Zone Preferential Tax Benefits.
4 Leased Buildings - Short Term Leases Provides In Place Cash Flow To Cover Expenses While Working Through The Entitlement Process,
Or DTLA 2040 To Pass Hybrid Industrial Zone Allowing Commercial & Residential Uses With A Potential Commercial & Residential Uses With A Potential FAR of 3:1 To 6:1
Qualified Opportunity Zone Preferential Tax Benefits.
Property Facts
| Sale Type | Owner User | Year Built | 1981 |
| Property Type | Industrial | Parking Ratio | 0.67/1,000 SF |
| Property Subtype | Warehouse | Clear Ceiling Height | 20’ |
| Building Class | C | No. Dock-High Doors/Loading | 12 |
| Lot Size | 2.13 AC | No. Drive In / Grade-Level Doors | 3 |
| Rentable Building Area | 67,500 SF | Opportunity Zone |
Yes
|
| No. Stories | 1 | ||
| Zoning | M3, DTLA2040 - Heavy Manufacturing | ||
| Sale Type | Owner User |
| Property Type | Industrial |
| Property Subtype | Warehouse |
| Building Class | C |
| Lot Size | 2.13 AC |
| Rentable Building Area | 67,500 SF |
| No. Stories | 1 |
| Year Built | 1981 |
| Parking Ratio | 0.67/1,000 SF |
| Clear Ceiling Height | 20’ |
| No. Dock-High Doors/Loading | 12 |
| No. Drive In / Grade-Level Doors | 3 |
| Opportunity Zone |
Yes |
| Zoning | M3, DTLA2040 - Heavy Manufacturing |
Amenities
- 24 Hour Access
Utilities
- Lighting - Fluorescent
1 1
Very walkable
80/100
Moderately drivable
70/100
Exceptional public transit
90/100
Very bikeable
80/100
Property Taxes
| Parcel Number | 5164-010-002 | Improvements Assessment | $1,124,977 CAD |
| Land Assessment | $821,085 CAD | Total Assessment | $1,946,062 CAD |
Property Taxes
Parcel Number
5164-010-002
Land Assessment
$821,085 CAD
Improvements Assessment
$1,124,977 CAD
Total Assessment
$1,946,062 CAD
1 of 3
Videos
Matterport 3D Exterior
Matterport 3D Tour
Photos
Street View
Street
Map
1 of 1
Presented by
1567-1717 Industrial St
Already a member? Log In
Hmm, there seems to have been an error sending your message. Please try again.
Thanks! Your message was sent.


