Log In/Sign Up
Your email has been sent.
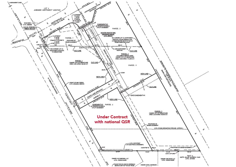
1567 N Wenatchee Ave - Development Opportunity 7.15 Acres of Commercial Land in Wenatchee, WA 98801



Investment Highlights
- 7.15 Acres Available
Executive Summary
7.15 acre development opportunity
Property Facts
1 Lot Available
Lot
| Lot Size | 7.15 AC |
| Lot Size | 7.15 AC |
Site sits between Walmart/Home Depot and Winco/Target
Description
Surrounded by national retail
Fairly walkable
50/100
Exceptionally drivable
100/100
Some public transit
40/100
Fairly bikeable
40/100
1 of 4
Videos
Matterport 3D Exterior
Matterport 3D Tour
Photos
Street View
Street
Map
Presented by
1567 N Wenatchee Ave - Development Opportunity
Already a member? Log In
Hmm, there seems to have been an error sending your message. Please try again.
Thanks! Your message was sent.

