Log In/Sign Up
Your email has been sent.
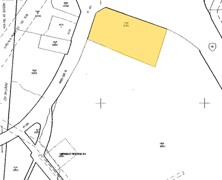
15701 Woods Edge Rd 5.63 Acres of Commercial Land Offered at $2,233,472 CAD in South Chesterfield, VA 23834


PROPERTY FACTS
1 LOT AVAILABLE
Lot 1
| Price | $2,233,472 CAD | Lot Size | 5.63 AC |
| Price Per AC | $396,709.07 CAD |
| Price | $2,233,472 CAD |
| Price Per AC | $396,709.07 CAD |
| Lot Size | 5.63 AC |
1 1
PROPERTY TAXES
| Parcel Number | 803-63-72-47-600-000 | Improvements Assessment | $0 CAD |
| Land Assessment | $1,210,430 CAD | Total Assessment | $1,210,430 CAD |
PROPERTY TAXES
Parcel Number
803-63-72-47-600-000
Land Assessment
$1,210,430 CAD
Improvements Assessment
$0 CAD
Total Assessment
$1,210,430 CAD
1 of 3
VIDEOS
MATTERPORT 3D EXTERIOR
MATTERPORT 3D TOUR
PHOTOS
STREET VIEW
STREET
MAP
1 of 1
Presented by
15701 Woods Edge Rd
Already a member? Log In
Hmm, there seems to have been an error sending your message. Please try again.
Thanks! Your message was sent.
