Log In/Sign Up
Your email has been sent.
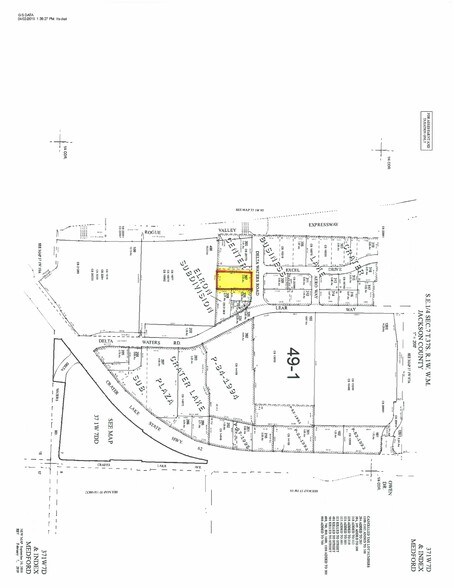
1580 Delta Waters Rd
Medford, OR 97504
Land For Sale
·
0.89 AC


EXECUTIVE SUMMARY
Commercial lot on the corner of Delta Waters & Excel Drive at the ingress/egress to Sportsman Warehouse development. 0.89 acres of land, divided by a drive way. Brokers are part owners. Owners reserve the right to approve use. Owners had a permit to build a strip center on the southerly portion of the property. Permit has expired but fees may still be honored by City. Sales price shall increase by such fees at closing.
PROPERTY FACTS
| Sale Type | Investment | Proposed Use | Commercial |
| No. Lots | 1 | Total Lot Size | 0.89 AC |
| Property Type | Land | Opportunity Zone |
Yes
|
| Property Subtype | Commercial | ||
| Zoning | C-G - general commercial | ||
| Sale Type | Investment |
| No. Lots | 1 |
| Property Type | Land |
| Property Subtype | Commercial |
| Proposed Use | Commercial |
| Total Lot Size | 0.89 AC |
| Opportunity Zone |
Yes |
| Zoning | C-G - general commercial |
1 LOT AVAILABLE
Lot 307
| Price | $816,613 CAD | Lot Size | 0.89 AC |
| Price Per AC | $917,542.95 CAD |
| Price | $816,613 CAD |
| Price Per AC | $917,542.95 CAD |
| Lot Size | 0.89 AC |
Commercial lot on the corner of Delta Waters & Excel Drive at the ingress/egress to Sportsman Warehouse development. 0.89 acres of land, divided by a drive way.
PROPERTY TAXES
| Parcel Number | 10948305 | Improvements Assessment | $0 CAD |
| Land Assessment | $447,639 CAD | Total Assessment | $447,639 CAD |
PROPERTY TAXES
Parcel Number
10948305
Land Assessment
$447,639 CAD
Improvements Assessment
$0 CAD
Total Assessment
$447,639 CAD
1 of 3
VIDEOS
MATTERPORT 3D EXTERIOR
MATTERPORT 3D TOUR
PHOTOS
STREET VIEW
STREET
MAP
