Log In/Sign Up
Your email has been sent.
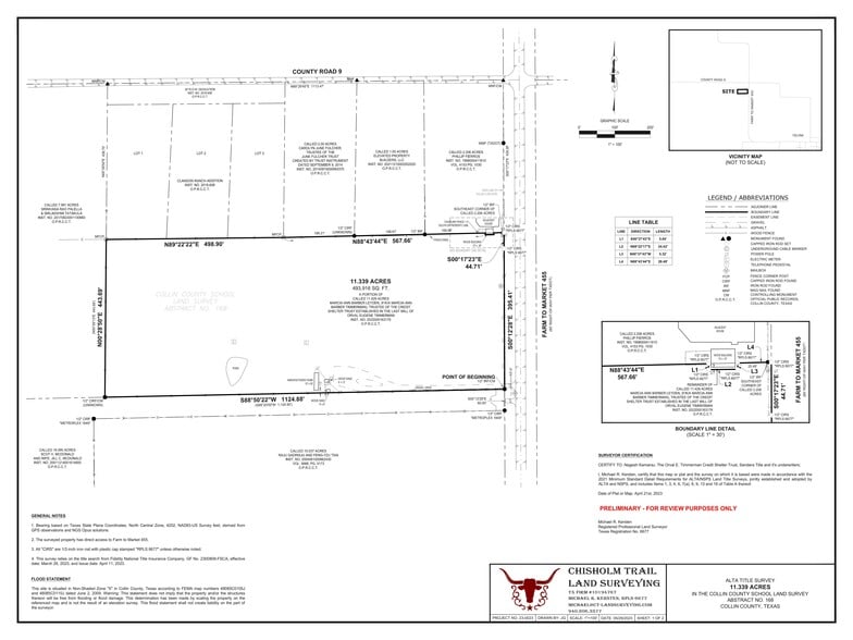
15921 W FM 455 - FM455 Celina - 11.3 Acres Land 11.34 Acres of Commercial Land in Celina, TX 75009



Executive Summary
Land is fully entitled to build townhomes.
Preliminary concept plan is approved by the City of Celina for 98 townhomes.
Schematic Design, Design Set completed. Civil Construction drawings submitted to City.
Submitted Preliminary plat.
3rd party Geotech report, water sampling test, Tree survey, ESA phase-1 , Boundary, Topo & ALTA Survey completed. Will Serve letters for all utilities are available.
Lender approved project for horizontal and vertical construction.
A full project estimate is available for horizontal and vertical construction.
In 'For Sale' projects, usually we build as we sell which helps keep cost more controlled.
Preliminary concept plan is approved by the City of Celina for 98 townhomes.
Schematic Design, Design Set completed. Civil Construction drawings submitted to City.
Submitted Preliminary plat.
3rd party Geotech report, water sampling test, Tree survey, ESA phase-1 , Boundary, Topo & ALTA Survey completed. Will Serve letters for all utilities are available.
Lender approved project for horizontal and vertical construction.
A full project estimate is available for horizontal and vertical construction.
In 'For Sale' projects, usually we build as we sell which helps keep cost more controlled.
Property Facts
| Sale Type | Investment or Owner User | Property Subtype | Commercial |
| No. Lots | 1 | Total Lot Size | 11.34 AC |
| Property Type | Land | ||
| Zoning | PD-149 | ||
| Sale Type | Investment or Owner User |
| No. Lots | 1 |
| Property Type | Land |
| Property Subtype | Commercial |
| Total Lot Size | 11.34 AC |
| Zoning | PD-149 |
1 Lot Available
Lot
| Lot Size | 11.34 AC |
| Lot Size | 11.34 AC |
The Preliminary Site Plan for 98 Townhomes has been approved by the City of Celina. Located near the SWQ of FM 455 and CR 9. Rapidly growing western area of Celina. 1 mile from Dallas North Tollway (DNT) Close to Major development projects near
1 1
Somewhat walkable
20/100
Exceptionally drivable
100/100
Somewhat bikeable
30/100
1 of 4
Videos
Matterport 3D Exterior
Matterport 3D Tour
Photos
Street View
Street
Map
1 of 1
Presented by
15921 W FM 455 - FM455 Celina - 11.3 Acres Land
Already a member? Log In
Hmm, there seems to have been an error sending your message. Please try again.
Thanks! Your message was sent.
