Log In/Sign Up
Your email has been sent.
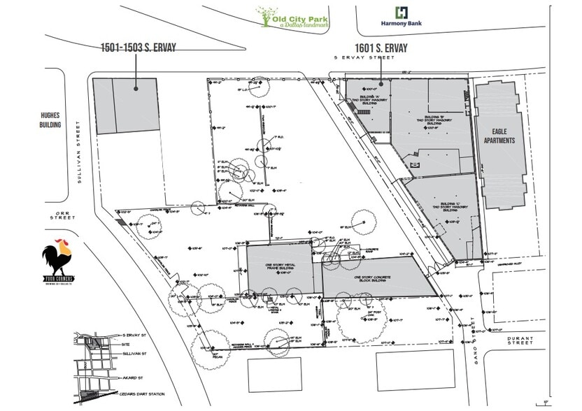
1601 S Ervay St 0.18 - 2.53 Acres of Commercial Land for Lease in Dallas, TX 75215



LOT Available
Display Rental Rate as
| Rental Rate |
|
Lot Size | 0.18 - 2.53 AC |
| Lease Term | Negotiable |
| Rental Rate | |
| Lease Term | Negotiable |
| Lot Size | 0.18 - 2.53 AC |
- Multi-use buildings on 2.5 acres in the heart of The Cedars, an emerging district south of Downtown Dallas - Numerous multi-family developments, town homes, warehouse/lofts, and office spaces built or under construction in the area - The Cedars is home to two movie theaters, chef driven restaurants, hotels, art galleries, and live entertainment venues - The City of Dallas has approved funding for deck caps with parks over I-30 between Harwood and Ervay - Close proximity to the Blue Line’s Cedars’ and Convention Center DART stations
Property Facts
| Total Space Available | 2.53 AC | Property Subtype | Commercial |
| Min. Divisible | 0.18 AC | Proposed Use | Commercial |
| Property Type | Land |
| Total Space Available | 2.53 AC |
| Min. Divisible | 0.18 AC |
| Property Type | Land |
| Property Subtype | Commercial |
| Proposed Use | Commercial |
Moderately walkable
70/100
Very drivable
80/100
Good public transit
60/100
Fairly bikeable
50/100
1 of 4
Videos
Matterport 3D Exterior
Matterport 3D Tour
Photos
Street View
Street
Map
Presented by
1601 S Ervay St
Already a member? Log In
Hmm, there seems to have been an error sending your message. Please try again.
Thanks! Your message was sent.

