Log In/Sign Up
Your email has been sent.
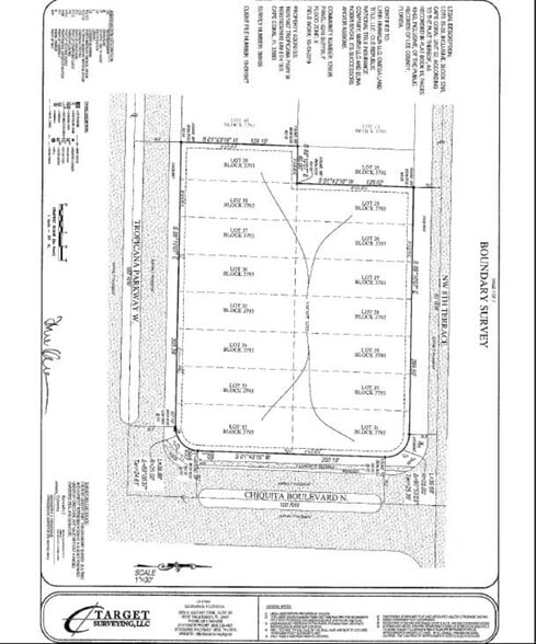
1601 Tropicana Pky 1.78 Acres of Commercial Land Offered at $1,126,738 CAD in Cape Coral, FL 33993


INVESTMENT HIGHLIGHTS
- Intersection of two of Cape Corals Main thoroughfares
- Excellent Frontage & Depth
- Growth continues to accelerate in area
EXECUTIVE SUMMARY
Excellent commercial corner with all utilities (water-sewer-irrigation available), Directly across from 7/11, Dollar General and Mariner High School
PROPERTY FACTS
1 LOT AVAILABLE
Lot 25-39
| Price | $1,126,738 CAD | Lot Size | 1.78 AC |
| Price Per AC | $632,998.62 CAD |
| Price | $1,126,738 CAD |
| Price Per AC | $632,998.62 CAD |
| Lot Size | 1.78 AC |
Approx 77,000 square feet (1.78 acres) with fontage on both Tropicana Boulevard and Chiquita Boulevard North
DESCRIPTION
RE/MAX Realty Group-Commercial Division presents this property that is located at the intersection of Chiquita Boulevard and Tropicana Parkway in high growth area. Nearby businesses/schools: 7-11, Dollar General, Farmer Joe’s, Publix, Mariner High School, Mariner Middle School, NW Regional Library, NW Softball Complex. Coming Soon to the area: Siesta Lakes Apartments, Embers Lake Estates, Escondido Estates, Chiquita Falls, Cape Coral Town Center
1 1
1 of 3
VIDEOS
MATTERPORT 3D EXTERIOR
MATTERPORT 3D TOUR
PHOTOS
STREET VIEW
STREET
MAP
1 of 1
Presented by
1601 Tropicana Pky
Already a member? Log In
Hmm, there seems to have been an error sending your message. Please try again.
Thanks! Your message was sent.
