Log In/Sign Up
Your email has been sent.
1648 Susan A Williams Way - Commercial Zoned Acreage 1 Acre of Industrial Land Offered at $205,898 CAD in Chino Valley, AZ 86323



INVESTMENT HIGHLIGHTS
- Flat, buildable, all utilities available, preliminary architectural building plans, surveyed with topo, preliminary city review, surrounded by retail.
- National and local brands such as Pizza Hut, Family Dollar, Liquor Barn, Chino Valley Family Dentistry, and other retail and office businesses.
EXECUTIVE SUMMARY
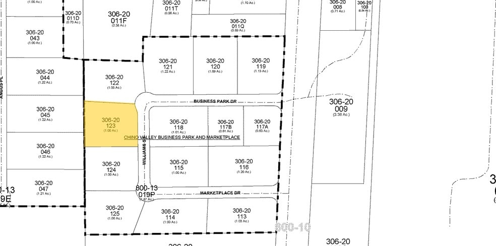
This is a prime, ready-to-build lot in the core trade area of rapidly growing Chino Valley, AZ. The subject property is one block west of State Route 89 with exposure from more than 75,000± vehicles per day.
The lot is located in a highly desired retail/business loop known as the Chino Valley Business Park and Marketplace, with neighbors such as Pizza Hut, Liquor Barn, Chino Valley Family Dentistry, Family Dollar Store, and more.
Survey and Building plans are provided by the owner and zoning affords a variety of office, retail, and industrial applications.
Chino Valley is an incorporated city with a rapidly growing population of ±15,000 and an annual growth rate of 7%, a median home value of $365,000±, a household income of $65,000±, and is served by banks, grocery, medical, dining establishments, houses of worship, and K-12 schools.
The lot is located in a highly desired retail/business loop known as the Chino Valley Business Park and Marketplace, with neighbors such as Pizza Hut, Liquor Barn, Chino Valley Family Dentistry, Family Dollar Store, and more.
Survey and Building plans are provided by the owner and zoning affords a variety of office, retail, and industrial applications.
Chino Valley is an incorporated city with a rapidly growing population of ±15,000 and an annual growth rate of 7%, a median home value of $365,000±, a household income of $65,000±, and is served by banks, grocery, medical, dining establishments, houses of worship, and K-12 schools.
PROPERTY FACTS
| Price | $205,898 CAD | Property Subtype | Industrial |
| Sale Type | Investment or Owner User | Proposed Use | Hold For Development |
| No. Lots | 1 | Total Lot Size | 1.00 AC |
| Property Type | Land | ||
| Zoning | CL - The subject property is in the Chino Valley Business and Marketplace subdivision with zoning for office, retail, industrial, and specialty. | ||
| Price | $205,898 CAD |
| Sale Type | Investment or Owner User |
| No. Lots | 1 |
| Property Type | Land |
| Property Subtype | Industrial |
| Proposed Use | Hold For Development |
| Total Lot Size | 1.00 AC |
| Zoning | CL - The subject property is in the Chino Valley Business and Marketplace subdivision with zoning for office, retail, industrial, and specialty. |
1 LOT AVAILABLE
Lot 7
| Price | $205,898 CAD | Lot Size | 1.00 AC |
| Price Per AC | $205,898.21 CAD |
| Price | $205,898 CAD |
| Price Per AC | $205,898.21 CAD |
| Lot Size | 1.00 AC |
This is a prime, ready-to-build lot in rapidly growing Chino Valley, AZ. The subject property is one block west of State Route 89 with exposure from more than 75,000± vehicles per day. See Feature Sheet and OM.
1 1
PROPERTY TAXES
| Parcel Number | 306-20-123 | Improvements Assessment | $0 CAD |
| Land Assessment | $131,590 CAD | Total Assessment | $131,590 CAD |
PROPERTY TAXES
Parcel Number
306-20-123
Land Assessment
$131,590 CAD
Improvements Assessment
$0 CAD
Total Assessment
$131,590 CAD
1 of 6
VIDEOS
MATTERPORT 3D EXTERIOR
MATTERPORT 3D TOUR
PHOTOS
STREET VIEW
STREET
MAP
1 of 1
Presented by
1648 Susan A Williams Way - Commercial Zoned Acreage
Already a member? Log In
Hmm, there seems to have been an error sending your message. Please try again.
Thanks! Your message was sent.
