Log In/Sign Up
Your email has been sent.
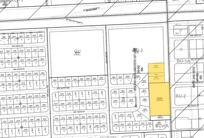
16500 NW 27th Ave - Palmetto Terminal Land 3.51 Acres of Commercial Land Offered at $9,470,112 CAD in Opa-locka, FL 33054



Executive Summary
Fee Simple, Possible Owner Financing, JV, Build to Suit, Long Term Land Lease
NEW MIAMI GARDENS ZONING ALLOWING UP TO 155 UNITS FOR MULTI FAMILY
PCD ZONING DESIGNATION
NEW MIAMI GARDENS ZONING ALLOWING UP TO 155 UNITS FOR MULTI FAMILY
PCD ZONING DESIGNATION
Property Facts
1 Lot Available
Lot
| Price | $9,470,112 CAD | Lot Size | 3.51 AC |
| Price Per AC | $2,698,037.68 CAD |
| Price | $9,470,112 CAD |
| Price Per AC | $2,698,037.68 CAD |
| Lot Size | 3.51 AC |
27th Avenue Frontage Just South of Palmetto Exp. 826 Vacant Land PCD Miami Gardens
1 1
Fairly walkable
50/100
Exceptionally drivable
100/100
Limited public transit
30/100
Somewhat bikeable
30/100
Property Taxes
| Parcel Numbers | Improvements Assessment | $0 CAD | |
| Land Assessment | $0 CAD | Total Assessment | $1,341,502 CAD |
Property Taxes
Parcel Numbers
Land Assessment
$0 CAD
Improvements Assessment
$0 CAD
Total Assessment
$1,341,502 CAD
1 of 4
Videos
Matterport 3D Exterior
Matterport 3D Tour
Photos
Street View
Street
Map
1 of 1
Presented by
16500 NW 27th Ave - Palmetto Terminal Land
Already a member? Log In
Hmm, there seems to have been an error sending your message. Please try again.
Thanks! Your message was sent.
