Log In/Sign Up
Your email has been sent.
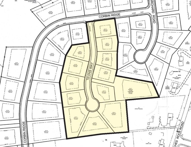
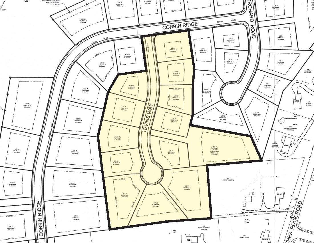
17-70 Tevins Way 7.5 Acres of Residential Land Offered at $1,521,718 CAD in Bristol, CT 06010

INVESTMENT HIGHLIGHTS
- 13 Lot approved development
- Highest elevation in the area
- Established successful residential subdivision
- All utilities readily available
EXECUTIVE SUMMARY
Final installment of premier established residential development.13 Lot subdivision. Entitlements in place for approved single family building lots. All site engineering complete. Developer to complete road prior to town assuming oversight. Engineering available upon request.
PROPERTY FACTS
1 LOT AVAILABLE
Lot
| Price | $1,521,718 CAD | Lot Size | 7.50 AC |
| Price Per AC | $202,895.74 CAD |
| Price | $1,521,718 CAD |
| Price Per AC | $202,895.74 CAD |
| Lot Size | 7.50 AC |
13 Lot subdivision. Entitlements in place for approved single family building lots. All site engineering complete. Developer to complete road prior to town assuming oversight. Engineering available upon request.
DESCRIPTION
Approved subdivision of raw land.
1 1
1 of 2
VIDEOS
MATTERPORT 3D EXTERIOR
MATTERPORT 3D TOUR
PHOTOS
STREET VIEW
STREET
MAP
1 of 1
Presented by
17-70 Tevins Way
Already a member? Log In
Hmm, there seems to have been an error sending your message. Please try again.
Thanks! Your message was sent.
