Log In/Sign Up
Your email has been sent.
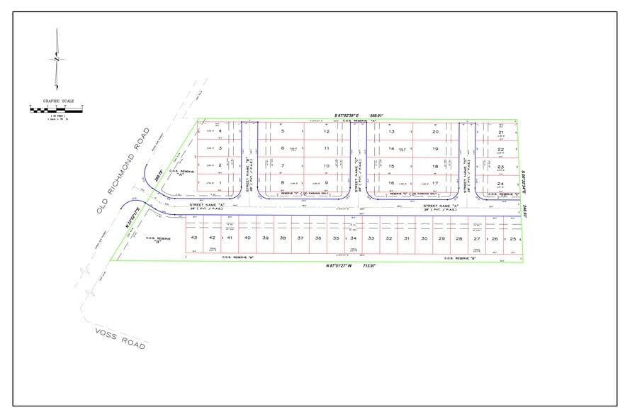
17007 Old Richmond rd - Imperial Retreat Townhomes 3.58 Acres of Commercial Land in Sugar Land, TX 77498


Investment Highlights
- Fully entitled shovel ready project
- Suitable for build-to-rent (BTR) or for-sale product
- Strong demand submarket in Fort Bend County
Executive Summary
Property is fully platted for a 43-lot single-family community with public and private plans approved by Fort Bend County and the City of Houston.
Includes completed home plans allowing for a streamlined path to development. Ideal for builders or investors seeking a ready-to-develop project in a high-growth area. Convenient access to major roadways, retail, and established neighborhoods.
- Fully entitled 43-lot development
- Approved engineering and site plans in place
- Home plans (~2,000 SF) included
- Suitable for build-to-rent (BTR) or for-sale product
- Reduced timeline and entitlement risk
- Strong demand submarket in Fort Bend County
Includes completed home plans allowing for a streamlined path to development. Ideal for builders or investors seeking a ready-to-develop project in a high-growth area. Convenient access to major roadways, retail, and established neighborhoods.
- Fully entitled 43-lot development
- Approved engineering and site plans in place
- Home plans (~2,000 SF) included
- Suitable for build-to-rent (BTR) or for-sale product
- Reduced timeline and entitlement risk
- Strong demand submarket in Fort Bend County
Property Facts
1 Lot Available
Lot
| Lot Size | 3.58 AC |
| Lot Size | 3.58 AC |
±3.5 acres of undeveloped land located at 17007 Old Richmond Road in Sugar Land, Texas.
1 1
Fairly walkable
40/100
Exceptionally drivable
100/100
Moderately bikeable
70/100
1 of 3
Videos
Matterport 3D Exterior
Matterport 3D Tour
Photos
Street View
Street
Map
1 of 1
Presented by
17007 Old Richmond rd - Imperial Retreat Townhomes
Already a member? Log In
Hmm, there seems to have been an error sending your message. Please try again.
Thanks! Your message was sent.
