Log In/Sign Up
Your email has been sent.
Highlights
- Easy Access to Expressways
- 2 Dock Height Doors
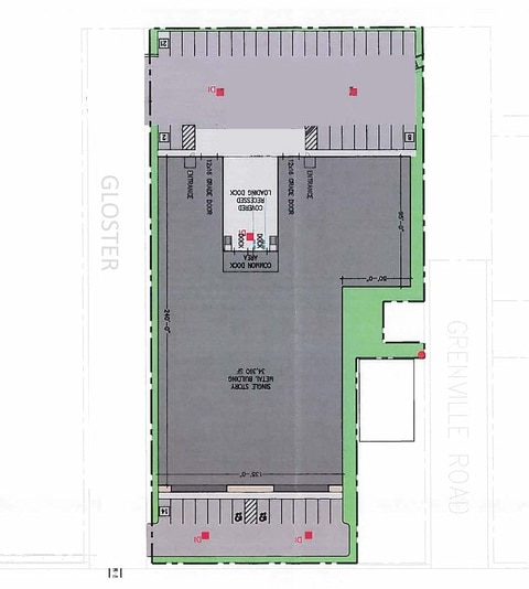
- 24' Clear Height
- 2 Grade Level Doors
LOT Available
Display Rental Rate as
| Rental Rate |
|
Lot Size | 0.80 AC |
| Lease Term | Negotiable |
| Rental Rate | |
| Lease Term | Negotiable |
| Lot Size | 0.80 AC |
Development site offering a build-to-suit 35,000 SF industrial building with 24' clear height, 2 dock height doors, 2 grade level doors, and 1600 AMP @ 480V 3-phase power. Frontage along Lyell Avenue with easy access to I-390 and I-490.
Property Overview
Development site offering a built-to-suit 35,000 SF industrial building with 24' clear height, 2 dock height doors, 2 grade level doors, and 1600 AMP @ 480V 3-phase power. Frontage along Lyell Avenue with easy access to I-390 and I-490.
Property Facts
1 1
Fairly walkable
40/100
Exceptionally drivable
100/100
Some public transit
40/100
Moderately bikeable
60/100
1 of 6
Videos
Matterport 3D Exterior
Matterport 3D Tour
Photos
Street View
Street
Map
1 of 1
Presented by
New Build Industrial Site | 1701 Lyell
Already a member? Log In
Hmm, there seems to have been an error sending your message. Please try again.
Thanks! Your message was sent.



