Your email has been sent.
1705 S Mariposa Rd 5 Acres of Commercial Land for Lease in Stockton, CA 95205



Highlights
- ±5 acres available for ground lease (part of ±8.56-acre parcel)
- CG (General Commercial) zoning – supports QSR, fuel, auto, or retail uses
- Flat, buildable site with strong access and circulation
- Located near Hwy 99 / Hwy 4 interchange with 140,000+ cars/day
- Excellent frontage and visibility along S. Mariposa Road
- Long-term ground lease available – flexible configurations possible
LOT Available
Display Rental Rate as
| Rental Rate |
|
Lot Size | 5.00 AC |
| Lease Term | Negotiable |
| Rental Rate | |
| Lease Term | Negotiable |
| Lot Size | 5.00 AC |
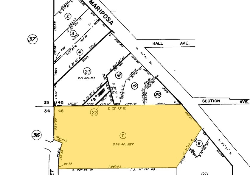
1705 S. Mariposa Road offers ±5 acres of prime commercial land available for ground lease, strategically positioned near the Highway 99 and Highway 4 interchange in Stockton, California. The site benefits from exceptional visibility and traffic counts exceeding 140,000 vehicles per day, making it an ideal location for high-exposure retail, fuel, auto, or mixed-use projects. This ±5-acre portion is part of an ±8.56-acre parcel and can be customized or subdivided to meet tenant needs. The property features a flat, buildable layout with excellent frontage along Mariposa Road and immediate access to major transportation routes, providing convenient ingress and egress for customers and deliveries. Zoned CG (General Commercial), the property supports a wide range of commercial uses, including quick-service restaurants, convenience stores, fueling stations, automotive, and general retail. Public utilities are nearby (buyer to verify), and long-term ground lease terms are available for qualified tenants or developers. Located in a growing South Stockton trade area, the site is adjacent to the Stockton Fairgrounds and Airport corridor, surrounded by established commercial users, logistics facilities, and expanding residential communities. This high-traffic corridor offers a rare opportunity for regional or national tenants to secure a 5-acre pad site with unmatched exposure and long-term growth potential.
Property Overview
1705 S. Mariposa Road offers ±5 acres of prime commercial land available for ground lease, strategically positioned near the Highway 99 and Highway 4 interchange in Stockton, California. The site benefits from exceptional visibility and traffic counts exceeding 140,000 vehicles per day, making it an ideal location for high-exposure retail, fuel, auto, or mixed-use projects. This ±5-acre portion is part of an ±8.56-acre parcel and can be customized or subdivided to meet tenant needs. The property features a flat, buildable layout with excellent frontage along Mariposa Road and immediate access to major transportation routes, providing convenient ingress and egress for customers and deliveries. Zoned CG (General Commercial), the property supports a wide range of commercial uses, including quick-service restaurants, convenience stores, fueling stations, automotive, and general retail. Public utilities are nearby (buyer to verify), and long-term ground lease terms are available for qualified tenants or developers. Located in a growing South Stockton trade area, the site is adjacent to the Stockton Fairgrounds and Airport corridor, surrounded by established commercial users, logistics facilities, and expanding residential communities. This high-traffic corridor offers a rare opportunity for regional or national tenants to secure a 5-acre pad site with unmatched exposure and long-term growth potential.
Property Facts
Presented by
1705 S Mariposa Rd
Hmm, there seems to have been an error sending your message. Please try again.
Thanks! Your message was sent.

