Log In/Sign Up
Your email has been sent.
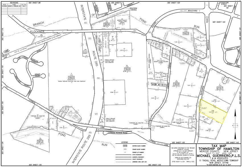
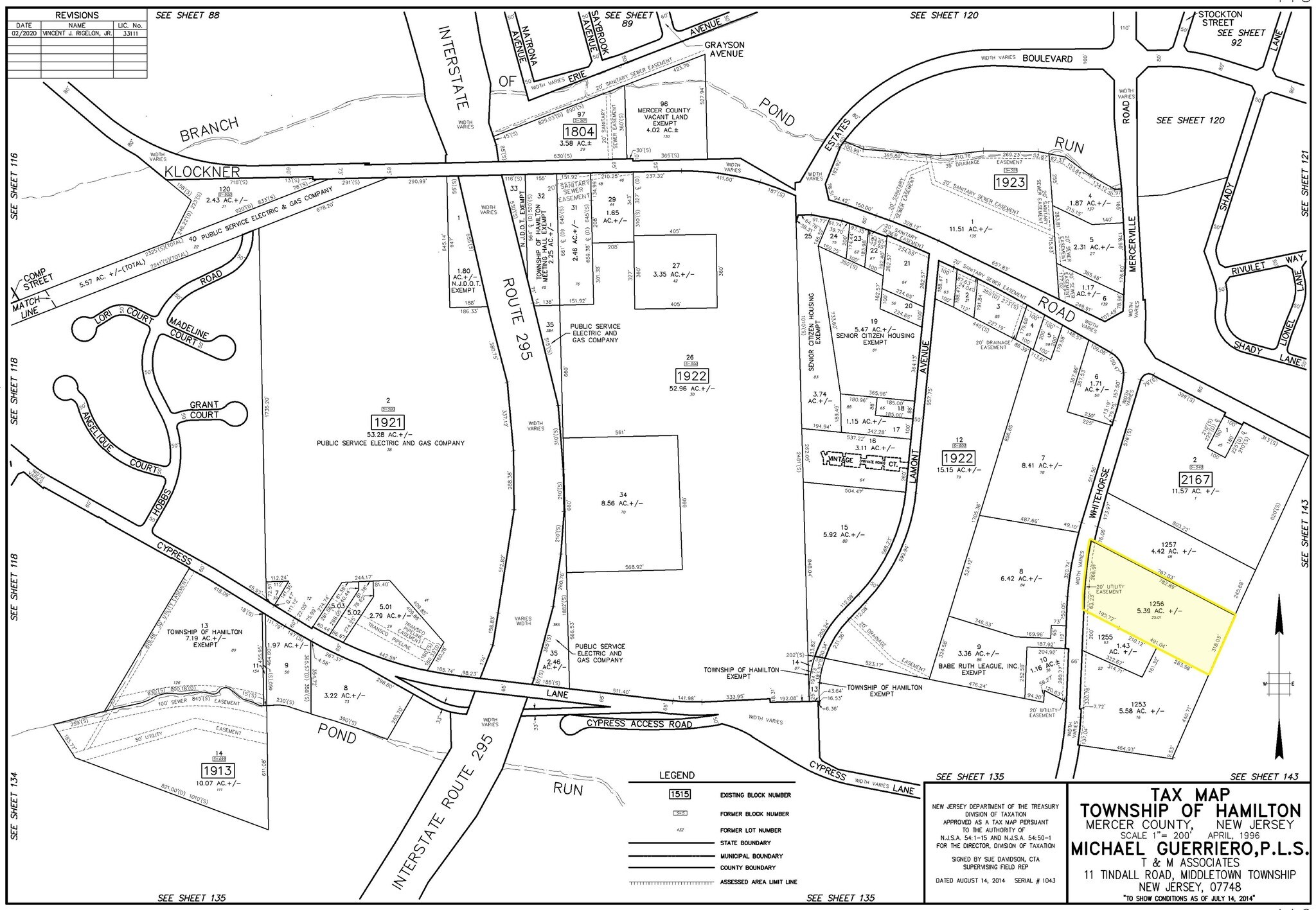
1709 Whitehorse Mercerville Rd
Hamilton Township, NJ 08619
Land For Sale
·
5.38 AC

Investment Highlights
- Zoned REO-5 Research, Engineering and Office Districts
- Wetland delineation obtained
- Property area is approximately 783' x 318'
- Level topography
- High visibility; the property offers prominent visibility ensuring maximum exposure and marketing opportunities for businesses operating on site
Property Facts
| Sale Type | Investment | Property Subtype | Commercial |
| No. Lots | 1 | Proposed Use | Research and Development |
| Property Type | Land | Total Lot Size | 5.38 AC |
| Zoning | REO-5 - Research, Engineering and Office Districts | ||
| Sale Type | Investment |
| No. Lots | 1 |
| Property Type | Land |
| Property Subtype | Commercial |
| Proposed Use | Research and Development |
| Total Lot Size | 5.38 AC |
| Zoning | REO-5 - Research, Engineering and Office Districts |
1 Lot Available
Lot
| Price | $3,410,300 CAD | Lot Size | 5.38 AC |
| Price Per AC | $633,884.76 CAD |
| Price | $3,410,300 CAD |
| Price Per AC | $633,884.76 CAD |
| Lot Size | 5.38 AC |
Located on county road (aka County Route 533) in close proximity to NJ Turnpike and Route 1 and just minutes to Routes 195, 295 and 130.
Property Taxes
| Parcel Number | 03-02167-0000-01256 | Improvements Assessment | $0 CAD |
| Land Assessment | $870,854 CAD | Total Assessment | $870,854 CAD |
Property Taxes
Parcel Number
03-02167-0000-01256
Land Assessment
$870,854 CAD
Improvements Assessment
$0 CAD
Total Assessment
$870,854 CAD
1 of 2
Videos
Matterport 3D Exterior
Matterport 3D Tour
Photos
Street View
Street
Map
