Log In/Sign Up
Your email has been sent.
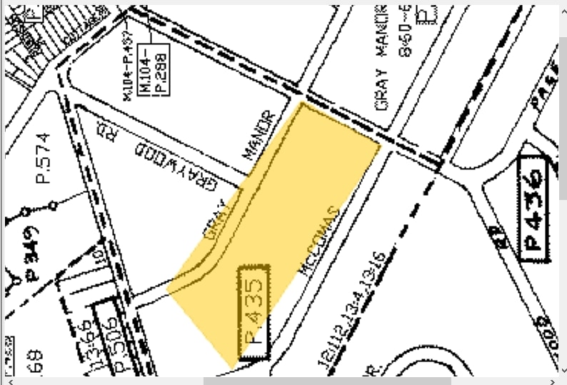
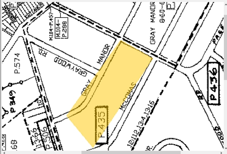
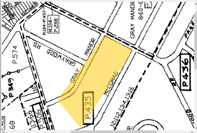
1710 Delvale Ave 14,380 SF Specialty Building Offered For Sale in Baltimore, MD 21222


Investment Highlights
- 3-4 total acres
- Spacious sanctuary with open floorplan
- Easily accessible from interstates
- completely renovated in 2020
- Includes several private offices
Executive Summary
Fully renovated church facility and community center for sale. This ±15,000 SF building sits on 3.4 acres and offers ±100 parking spaces with room to expand. Features include a spacious sanctuary with an open floor plan, multiple private offices, and an adjacent venue ideal for events, school, or training use. Conveniently located near major interstates and thoroughfares. Call for more information.
Property Facts
| Sale Type | Investment | Building Size | 14,380 SF |
| Property Type | Specialty | No. Stories | 1 |
| Property Subtype | Religious Facility | Year Built | 1960 |
| Building Class | C | Tenancy | Single |
| Lot Size | 2.77 AC | Parking Ratio | 5.56/1,000 SF |
| Zoning | DR - Density Residential zoning. It's a zoning classification that allows for low, medium, and high density residential development | ||
| Sale Type | Investment |
| Property Type | Specialty |
| Property Subtype | Religious Facility |
| Building Class | C |
| Lot Size | 2.77 AC |
| Building Size | 14,380 SF |
| No. Stories | 1 |
| Year Built | 1960 |
| Tenancy | Single |
| Parking Ratio | 5.56/1,000 SF |
| Zoning | DR - Density Residential zoning. It's a zoning classification that allows for low, medium, and high density residential development |
Moderately walkable
60/100
Exceptionally drivable
90/100
Limited public transit
30/100
Fairly bikeable
40/100
Property Taxes
| Parcel Numbers | Improvements Assessment | $0 CAD | |
| Land Assessment | $163,799 CAD | Total Assessment | $3,172,782 CAD |
Property Taxes
Parcel Numbers
Land Assessment
$163,799 CAD
Improvements Assessment
$0 CAD
Total Assessment
$3,172,782 CAD
1 of 3
Videos
Matterport 3D Exterior
Matterport 3D Tour
Photos
Street View
Street
Map
Presented by
1710 Delvale Ave
Already a member? Log In
Hmm, there seems to have been an error sending your message. Please try again.
Thanks! Your message was sent.

