Your email has been sent.
Park Highlights
- Newly constructed multi-tenant industrial building totaling 20,640 square feet within a 5.11-acre development.
- Located directly off 23 Mile Road with convenient two-mile access to M-53 for regional connectivity.
- Infrastructure supports high-demand uses with 240V/3-phase power (200 amps), LED lighting, and radiant heating.
- Flexible suite sizes available from 2,580 SF to 5,160 SF with customized office build-out options.
- Modern industrial features include 18-foot ceiling height, 30-foot bay width, and 12’x14’ grade-level doors for efficient workflow.
- Ample on-site parking and contemporary site design enhance tenant convenience and operational efficiency.
Park Facts
Features and Amenities
- Security System
- Signage
- Tenant Controlled HVAC
- Storage Space
- Air Conditioning
- Smoke Detector
All Available Space(1)
Display Rental Rate as
- Space
- Size
- Term
- Rental Rate
- Space Use
- Build-Out
- Available
Lease rate includes Real Estate taxes, building insurance, and exterior maintenance.
- Rate includes utilities, building services and property expenses
- 8 Loading Docks
- Space is in Excellent Condition
- Central Air and Heating
| Space | Size | Term | Rental Rate | Space Use | Build-Out | Available |
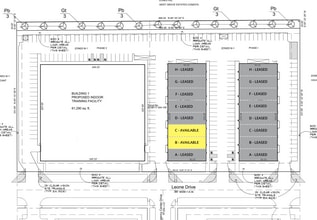
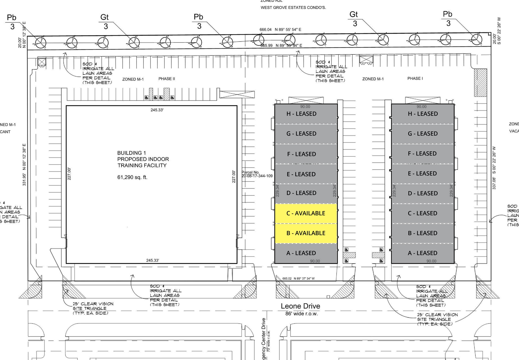
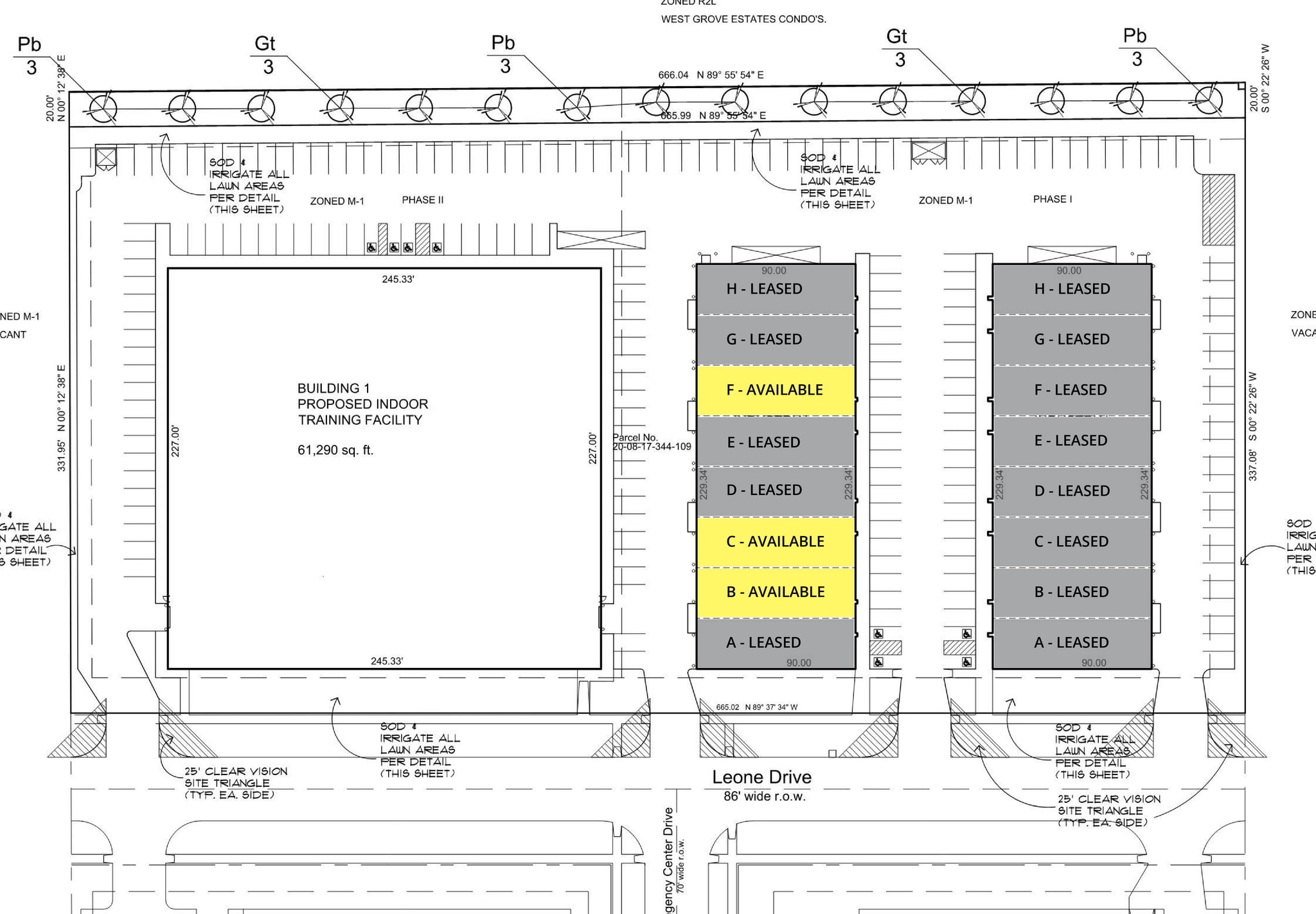
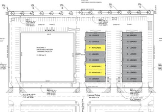
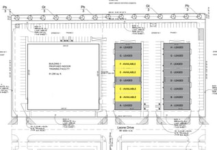
| 1st Floor - Suite B-F | 2,580-5,160 SF | 3 Years | $18.49 CAD/SF/YR $1.54 CAD/SF/MO $95,414 CAD/YR $7,951 CAD/MO | Industrial | Spec Suite | Now |
17243 Leone Dr - 1st Floor - Suite B-F
17243 Leone Dr - 1st Floor - Suite B-F
| Size | 2,580-5,160 SF |
| Term | 3 Years |
| Rental Rate | $18.49 CAD/SF/YR |
| Space Use | Industrial |
| Build-Out | Spec Suite |
| Available | Now |
Lease rate includes Real Estate taxes, building insurance, and exterior maintenance.
- Rate includes utilities, building services and property expenses
- Space is in Excellent Condition
- 8 Loading Docks
- Central Air and Heating
Park Overview
17243 Leone Drive offers a newly constructed multi-tenant industrial development strategically positioned off 23 Mile Road with direct connectivity to M-53. The property spans over 5 acres and features modern design specifications with flexibility for a wide range of industrial and light manufacturing users. With a total building area of 20,640 square feet, the structure provides contiguous units ranging from 2,580 to 5,160 square feet. Enhanced with 18-foot clear ceiling heights, wide 30-foot bay sizes, and grade-level doors measuring 12’x14’, the facility ensures efficient operations for warehousing, distribution, and light industrial purposes. Office spaces can be finished to suit tenant requirements, offering customization for operational needs. The building includes LED lighting, radiant heating, and robust 240V/3-phase power with 200 amps, ensuring adaptability to specialized equipment. This modern industrial community benefits from ample parking, well-designed traffic flow, and easy ingress/egress directly from 23 Mile Road. As part of a growing commercial corridor in Macomb Township, the park offers immediate proximity to a wide labor force, retail services, and critical transportation routes, making it an exceptional opportunity for businesses seeking a high-quality facility in southeast Michigan’s thriving industrial market.
Presented by
Leone Drive | Macomb, MI 48042
Hmm, there seems to have been an error sending your message. Please try again.
Thanks! Your message was sent.





