Log In/Sign Up
Your email has been sent.
173 & 174 Stacie Ln. 2 Land Properties Offered at $1,760,204 CAD in Dawsonville, GA



Investment Highlights
- Good location, one block west of GA 400
- Public water and sewer
- Strong residential and commercial area
Executive Summary
$150,000 per acre
Commercial potential for light industrial or retail shop space
Commercial potential for light industrial or retail shop space
Property Facts
| Price | $1,760,204 CAD | Number of Properties | 2 |
| Sale Type | Investment or Owner User | Individually For Sale | 0 |
| Status | Active | Total Land Area | 8.73 AC |
| Price | $1,760,204 CAD |
| Sale Type | Investment or Owner User |
| Status | Active |
| Number of Properties | 2 |
| Individually For Sale | 0 |
| Total Land Area | 8.73 AC |
Properties
| Property Name / Address | Property Type | Size | Individual Price |
|---|---|---|---|
| 174 Stacie Ln, Dawsonville, GA 30534 | Land | 4.61 AC | - |
|
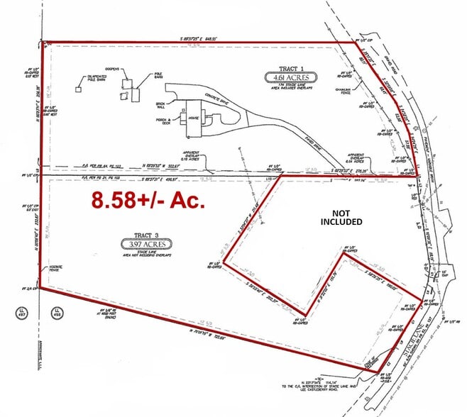
Approx. 8.58 Acre Assemblage
173 Stacie ln, Dawsonville, GA 30534 |
Land | 4.12 AC | - |
1 of 5
Videos
Matterport 3D Exterior
Matterport 3D Tour
Photos
Street View
Street
Map
Presented by
173 & 174 Stacie Ln.
Already a member? Log In
Hmm, there seems to have been an error sending your message. Please try again.
Thanks! Your message was sent.

