Log In/Sign Up
Your email has been sent.
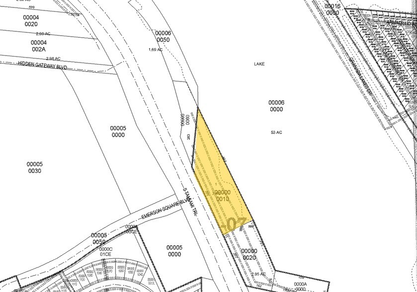
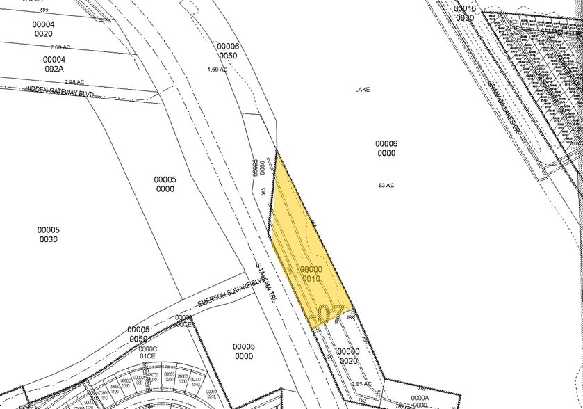
17555 S Tamiami Trl - 3 ACRE LAKEFRONT CPD zoned 2.98 Acres of Commercial Land Offered at $1,343,002 CAD in Fort Myers, FL 33908



Investment Highlights
- Centrally located between Fort Myers and Bonita Springs
- Positioned within the path of growth
Executive Summary
±2.98-acre (129,808 SF) vacant commercial parcel featuring a master concept plan for an 8,125 SF building. Boasting 404 feet of direct frontage along busy S Tamiami Trail (AADT: 62,500), this site offers maximum visibility in a high-growth corridor.
Centrally located between Fort Myers and Bonita Springs, the property sits squarely within the path of significant residential expansion—driving strong demand for retail, office, or mixed-use commercial development. Ideal opportunity for developers or end-users seeking a prime site in Southwest Florida’s booming market.
Centrally located between Fort Myers and Bonita Springs, the property sits squarely within the path of significant residential expansion—driving strong demand for retail, office, or mixed-use commercial development. Ideal opportunity for developers or end-users seeking a prime site in Southwest Florida’s booming market.
Property Facts
1 Lot Available
Lot
| Price | $1,343,002 CAD | Lot Size | 2.98 AC |
| Price Per AC | $450,671.73 CAD |
| Price | $1,343,002 CAD |
| Price Per AC | $450,671.73 CAD |
| Lot Size | 2.98 AC |
±2.98-acre (129,808 SF) vacant commercial parcel featuring a master concept plan for an 8,125 SF building. Boasting 404 feet of direct frontage along busy S Tamiami Trail (AADT: 62,500).
1 1
Somewhat walkable
30/100
Exceptionally drivable
100/100
Limited public transit
30/100
Somewhat bikeable
30/100
Property Taxes
| Parcel Number | 07-46-25-07-00000.0010 | Improvements Assessment | $0 CAD |
| Land Assessment | $0 CAD | Total Assessment | $750,348 CAD |
Property Taxes
Parcel Number
07-46-25-07-00000.0010
Land Assessment
$0 CAD
Improvements Assessment
$0 CAD
Total Assessment
$750,348 CAD
1 of 5
Videos
Matterport 3D Exterior
Matterport 3D Tour
Photos
Street View
Street
Map
1 of 1
Presented by
17555 S Tamiami Trl - 3 ACRE LAKEFRONT CPD zoned
Already a member? Log In
Hmm, there seems to have been an error sending your message. Please try again.
Thanks! Your message was sent.
