Log In/Sign Up
Your email has been sent.
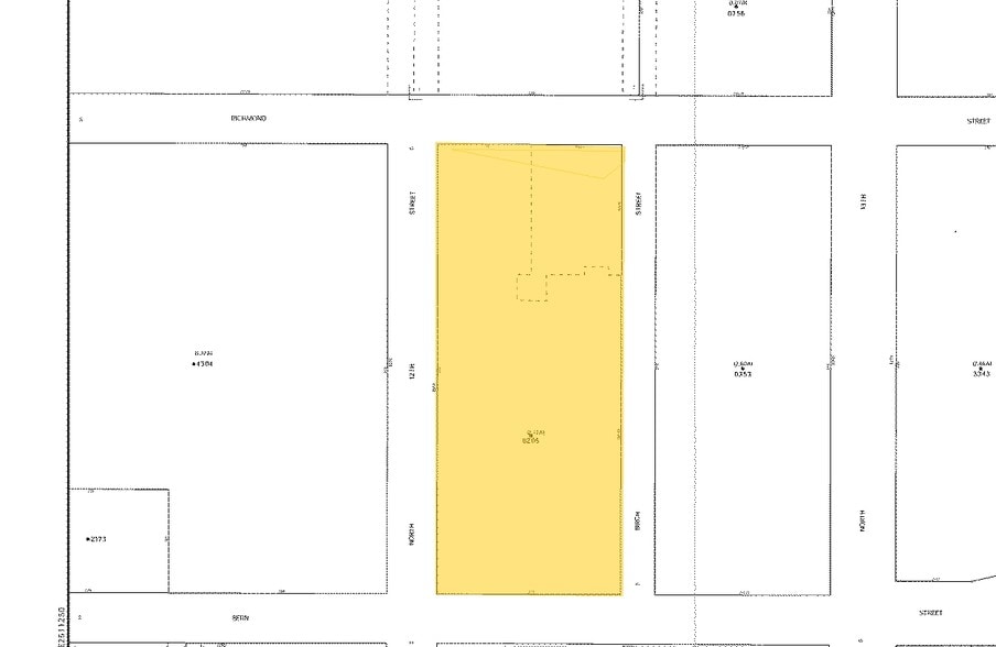
Investment Highlights
- Institutional campus setting on 2.73 acres.
- Four exterior loading docks for efficient operations.
- Zoning includes M-C Manufacturing Commercial District and INS Institutional Overlay Zone.
- Approximately 180,000 SF of combined warehouse and office space.
- Close proximity to Routes 222, 422, and 73 for regional access.
- Located adjacent to Albright College in Reading, PA.
Executive Summary
This 180,000 SF property at 1801 N. 12th Street in Reading, PA offers a unique opportunity for buyers seeking a versatile industrial and office facility within an institutional campus setting. The site spans 2.73 acres and includes approximately 150,000 SF of warehouse space and 30,000 SF of office accommodations, providing a balanced mix for operational efficiency.
The property features four exterior loading docks, supporting streamlined logistics and distribution. Located near Routes 222, 422, and 73, the site ensures excellent regional connectivity for transportation and supply chain needs. Its zoning includes M-C Manufacturing Commercial District and INS Institutional Overlay Zone, allowing for a range of potential uses.
Situated adjacent to Albright College and within a well-established area of Reading, the property benefits from proximity to local amenities and a strong labor pool. This asset is well-suited for owner-users or investors seeking a flexible facility in a central Pennsylvania location with convenient access to major highways and regional markets.
The property features four exterior loading docks, supporting streamlined logistics and distribution. Located near Routes 222, 422, and 73, the site ensures excellent regional connectivity for transportation and supply chain needs. Its zoning includes M-C Manufacturing Commercial District and INS Institutional Overlay Zone, allowing for a range of potential uses.
Situated adjacent to Albright College and within a well-established area of Reading, the property benefits from proximity to local amenities and a strong labor pool. This asset is well-suited for owner-users or investors seeking a flexible facility in a central Pennsylvania location with convenient access to major highways and regional markets.
Property Facts
Amenities
- Air Conditioning
Utilities
- Gas
- Water - City
- Sewer - City
- Heating - Oil (Steam)
1 1
Moderately walkable
60/100
Moderately drivable
60/100
Limited public transit
30/100
Moderately bikeable
60/100
Property Taxes
| Parcel Number | 17-5318-78-10-8205 | Improvements Assessment | $713,743 CAD |
| Land Assessment | $200,920 CAD | Total Assessment | $914,663 CAD |
Property Taxes
Parcel Number
17-5318-78-10-8205
Land Assessment
$200,920 CAD
Improvements Assessment
$713,743 CAD
Total Assessment
$914,663 CAD
1 of 30
Videos
Matterport 3D Exterior
Matterport 3D Tour
Photos
Street View
Street
Map
1 of 1
Presented by
1801 N 12th St
Already a member? Log In
Hmm, there seems to have been an error sending your message. Please try again.
Thanks! Your message was sent.



