Your email has been sent.
18520 W 7 Mile Rd
Detroit, MI 48219
Seven Mile Development Lot · Land For Sale
·
1.78 AC


Investment Highlights
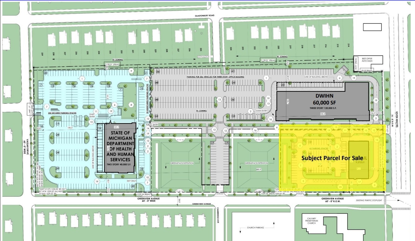
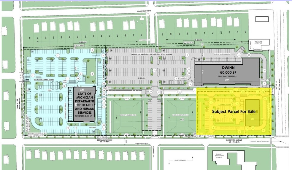
- 1.78 acres available for sale located off 7 Mile Road, just West of the Southfield Freeway.
- Prominently located in front of the Michigan Department of Health and Human Services and adjacent to the Detroit Wayne Integrated Health Network.
- The subject property is site plan approved for a 9,200-sf retail center with a drive-thru. All utilities available on-site, streamlining development.
Executive Summary
Property Facts
1 Lot Available
Lot
| Lot Size | 1.78 AC |
| Lot Size | 1.78 AC |
1.78 acres available for sale located off 7 Mile Road, just West of the Southfield Freeway.
Description
18520 W 7 Mile Road in Detroit Michigan is a 1.78 acres commercial development lot located off 7 Mile Road, just West of the Southfield Freeway. The subject property is site plan approved for a 9,200-sf retail center with a drive-thru. All utilities available on-site, streamlining development and reducing lead time. Prominently located in front of the Michigan Department of Health and Human Services (MDHHS) and adjacent to the Detroit Wayne Integrated Health Network (DWIHN), drawing thousands of daily visitors to the site. The retail portion of the property offers exceptional accessibility, featuring multiple access points that ensure smooth traffic flow and convenient ingress and egress for customers, tenants, and deliveries.
Property Taxes
| Parcel Number | 22-017033-000 | Improvements Assessment | $0 CAD |
| Land Assessment | $0 CAD | Total Assessment | $85,130 CAD |
