Your email has been sent.
1888 SW 8th St - Calle Ocho Ground Lease 0.29 Acres of Commercial Land Offered at $5,484,200 CAD in Miami, FL 33135



Investment Highlights
- Prime Tourist Area:
- Excellent Transportation Links:
- Proximity to Domino Park:
Executive Summary
Front-row location on Calle Ocho (SW 8th St) in Little Havana’s retail/cultural corridor—two blocks from Domino Park—with exceptional visibility, transit access, and year-round tourist + local foot traffic.
Transit at your door
MDT Route 8 runs along SW 8th St connecting West Kendall/Westchester to Brickell Metrorail/Metromover; high-frequency local service, 7 days/week.
Miami-Dade County
City of Miami Free Trolley (Little Havana Route) links Little Havana to Brickell Metrorail/Metromover, cultural sites, and schools; hours: Mon–Sat 6:30 AM–11:00 PM; Sun 8:00 AM–8:00 PM.
City of Miami
Official Little Havana Trolley Map available (stop coverage along SW 8th/Flagler).
City of Miami
Zoning Snapshot (T6-8-O)
Miami 21 — Urban Core Zone permits a broad mix of high-intensity uses (residential, lodging, office, retail/restaurant, entertainment, civic) with urban, pedestrian-oriented frontage. Typical standards include multi-story massing set close to the frontage with frequent doors/windows to activate the street. (Refer to Miami 21, Article 4; verify project-specific metrics during due diligence.)
City of Miami
What can be done?
Min height: 2 stories
Max height: 8 stories
“Benefit height”: 4 stories (program-dependent; confirm via Miami 21 bonuses/administrative procedures for your sub-zone).
(Always confirm FAR/lot coverage, parking ratios, frontage type, and any special overlays with the City’s zoning atlas.)
map.gridics.com
Right-fit programs to explore (illustrative):
Mixed-use: ground-floor restaurant/retail + 4–8 stories multifamily/extended-stay or office above
Hospitality: boutique hotel/inn leveraging cultural tourism + trolley/Metro connectivity
Medical/office: neighborhood clinic, co-working, or creative office over activated retail
Neighborhood & Demand Drivers (33135)
Population: ~35,053 (ACS 2023 5-yr); density ~16,482/sq mi.
Median household income: $37,757 (ACS 2023).
Census Reporter
(Good fit for value-oriented F&B and service retail; strong worker/tourist daytime population layers add spending power.)
Market Analysis attached to this advertising
Retail / Restaurant Leasing
Recent Little Havana / W. Flagler asking rents commonly ~$35–$40/SF/YR NNN based on active listings (e.g., $40/SF at 1201–1223 W Flagler; $35/SF nearby garage retail). Use as a range marker for underwriting first-floor retail.
LoopNet
Wider submarket shows a broad band of retail ask rates (LoopNet aggregate view shows listings from the mid-teens to high-$30s+ depending on inline vs. corner, condition, and co-tenancy).
A nearby strip center listing in Little Havana marketed with below-market $~14/SF rents and cap ~6.5% indicates rent-growth potential as older stock resets to corridor averages. (Use only as directional context—property types, condition, and tenancy vary.)
thedelarosateam.com
Access / Traffic
SW 8th St (US-41) is a principal urban arterial. FDOT Traffic Online provides segment-level AADT—pull the count for the SW 8th @ ~SW 19th Ave segment during due diligence to support signage and drive-by exposure claims.
tdaappsprod.dot.state.fl.us
+2
gis-fdot.opendata.arcgis.com
+2
Transit & Customer Capture
Route 8 (83 stops end-to-end) funnels riders to Brickell Station, creating reliable footfall for QSR/coffee and daily-needs retail.
Moovit
Free Trolley lowers friction for visitors and employees (no fare, frequent headways), supports mode-shift away from limited on-site parking, and extends catchment to Brickell, Flagler, Jose Martí/Domino Park.
City of Miami
Why 1888 SW 8th St Works
Brand-name visibility on Miami’s most storied corridor (Calle Ocho).
Transit-rich, walkable front door (bus + free trolley + quick link to rail).
Miami-Dade County
Flexible T6-8-O envelope to tailor a single-parcel development: retail/restaurant at grade + residential/office/hospitality above.
codehub.gridics.com
Process Notes / Next Steps
Confirm parcel-specific metrics in the Miami Zoning Atlas (frontage type, parking ratios, bonuses, any special overlays).
map.gridics.com
Pull FDOT AADT for the exact segment, and capture Route 8 stop placement + trolley stop map for the OM appendix.
tdaappsprod.dot.state.fl.us
Refresh rent comps within a 1-mile radius (Calle Ocho & W. Flagler) at LOI stage to price NNN ask by frontage/condition.
Disclaimers
Prepared by Alejandro Farias, Sigma Real Estate & Investments. Information is preliminary and subject to independent verification; agent/representatives make no warranties and assume no liability for errors/omissions or status changes. Consult legal/tax/land-use professionals; rely on updated city records and surveys. Confidential; distribution only for evaluation of this opportunity.
Data Room Click Here to Access
Property Facts
1 Lot Available
Lot
| Price | $5,484,200 CAD | Lot Size | 0.29 AC |
| Price Per AC | $18,963,347.17 CAD |
| Price | $5,484,200 CAD |
| Price Per AC | $18,963,347.17 CAD |
| Lot Size | 0.29 AC |
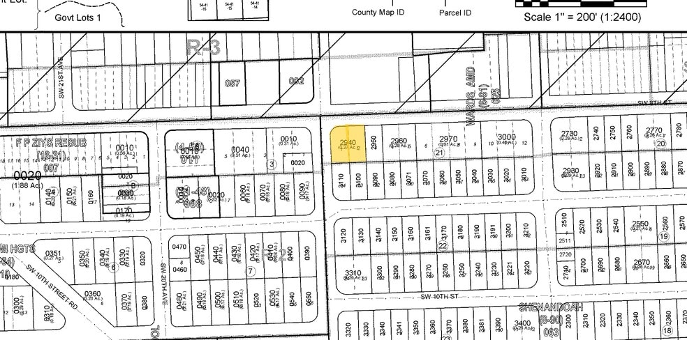
Corner lot on iconic Calle Ocho with prime visibility, direct transit access, and high tourist and local foot traffic—ideal for retail, restaurant, or mixed-use development.
Description
Allowed Uses (As per Article 4, Table 3): 1. Residential: - Single Family Residence - Community Residence - Two Family Residence - Multifamily Housing - Dormitory - Home Office - Live/Work Units 2. Lodging: - Bed & Breakfast - Inn - Hotel 3. Office: - General Office - Medical Office - Co-working Spaces 4. Commercial: - Entertainment Establishments - Food Service Establishments (Restaurants, Cafes) - General Commercial Services (Retail, Shops) 5. Civic and Institutional: - Civic Buildings - Places of Assembly - Recreational Establishments (Gyms, Studios) - Recreational Facilities - Religious Facilities - Learning Centers - Pre-Schools - Research Facilities Development Potential: The T6-8-O zoning allows for a dynamic mix of uses that can cater to both residential and commercial needs. Given the strategic location on SW 8th St, there are several attractive development opportunities: 1. Mixed-Use Developments: - Ground-floor retail or restaurant spaces with residential units above. - Potential for vertical developments with commercial use on the first floor and multifamily housing or office spaces on upper floors. 2. Hospitality and Lodging: - Boutique hotels or inns to accommodate the influx of tourists visiting Little Havana. 3. Office and Commercial Spaces: - Development of office buildings catering to local businesses, startups, and co-working spaces. - Retail establishments, entertainment venues, and food service businesses that serve both residents and tourists. Site Characteristics: - Network of Small Blocks: - The area features a network of small blocks, promoting walkability and a vibrant street life. - Thoroughfares with wide sidewalks and steady tree planting create a pedestrian-friendly environment. - Buildings Set Close to the Frontage: - Buildings are designed to be set close to the frontage, with frequent doors and windows, enhancing street-level interaction and accessibility.
Property Taxes
| Parcel Number | 01-4110-063-2940 | Improvements Assessment | $0 CAD |
| Land Assessment | $2,158,890 CAD | Total Assessment | $2,158,890 CAD |
Property Taxes
Presented by
Viva Investment
1888 SW 8th St - Calle Ocho Ground Lease
Hmm, there seems to have been an error sending your message. Please try again.
Thanks! Your message was sent.
